




$4,995,900
Est. $27,977/mo19203 Cajalco Road, Perris, CA 92570
About this home
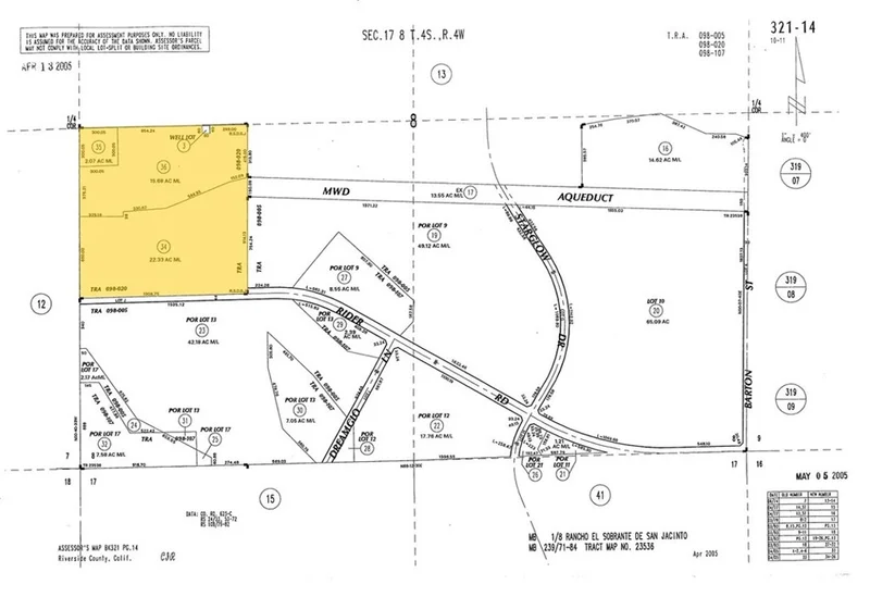
An extraordinary investment opportunity awaits with this rare property package consisting of 4 separate parcels zoned Residential Agricultural 1/2. With over 1,300 feet of prime frontage along both Cajalco Road and Wood Road, the possibilities are truly endless. The front corner parcel includes a well with pump, and with the MWD aqueduct running directly under the property, water access is virtually unlimited — an invaluable resource for future development or agricultural use. The seller has already initiated the rezoning process for potential gas station/commercial use, opening the door to a wide range of development opportunities. Alternatively, the property could be subdivided into 1/2-acre residential lots, ideal for single-family residences. Currently, there are two single-family homes on the property that could be repaired, rented, or repurposed — adding immediate income potential while development plans are underway. Whether you envision commercial development, residential subdivision, agricultural use, or a long-term investment, 19203 Cajalco Road offers unmatched scale, infrastructure advantages, and flexibility in a high-growth area of Riverside County.
infoProperty Facts
Lot Size
1,747,191.6 sqft
Days on Market
0
HOA Fee
N/A
MLS #
IV25152612
chairInterior Details
garageParking
deckExterior & Lot
Building & Construction
Fencing
Chain Link
Lot & Grounds
Lot Features
Thirty Six To Forty Units Acre, Agricultural, Horse Property, Street Level
Sewer
Septic Tank
Water Source
Public
diversity_3Community & HOA
Association Info
Community Features
Foothills, Horse Trails, Rural
Mortgage Calculator
$0
Nearby Schools
| Rating | School Name |
|---|---|
9 | GreatSchools High (Demo) public School • ratio 22:1 |
7 | Valley View Elementary (Demo) public School • ratio 18:1 |
6 | Lincoln Middle School (Demo) public School • ratio 20:1 |
NR | St. Mary Example Academy (Demo) private School • ratio 12:1 |
Walkability
Market Insights
Estimated Value
Market Temperature
Balanced market
Avg. time on market
This is a Balanced Market. Homes are selling at a moderate pace.
Similar Homes You Might Like
Based on price, location, and features