




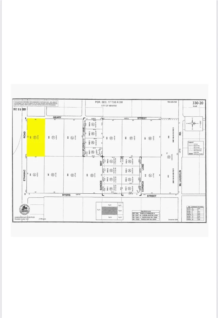
0 Ethanac, Menifee, CA 92585
PRIME 4.41-ACRE EDC-NG INDUSTRIAL CORNER Menifee’s explosive Northern Gateway Economic Development Corridor (EDC-NG zoning). 4.41 flat, usable acres with 1,000+ ft of combined frontage on Ethanac Rd & Geary Ave. Only 3 minutes to I-215, 35,000+ VPD on Ethanac, and surrounded by new Amazon-last-mile, Home Depot, WinCo, and national big-box.
Bedrooms
0
Bathrooms
0
Lot Size
192,000 sqft
Days on Market
65
HOA Fee
N/A
MLS #
SR25221009
Lot Features
Two To Five Units Acre
Water Source
Public
Suburban
$0
| Rating | School Name | ||
|---|---|---|---|
| No school data available for this area. | |||
Balanced market
Avg. time on market
This is a Balanced Market. Homes are selling at a moderate pace.
Flood Risk
Minimal — not in a FEMA flood zone
Wildfire Risk
Moderate — near wildland-urban interface
Heat Risk
Low — moderate summer temperatures
Earthquake Risk
Southern California seismic zone
Based on price, location, and features
Topfind Realty, DRE # 02240815, is a licensed real estate broker in California. Topfind Realty pledges to support the Fair Housing Act and adhere to Equal Housing Opportunity laws.
Copyright © 2026 Topfind Realty. All Rights Reserved.