




$39,000
Est. $218/mo0 Tully Place, Cambria, CA 93428
About this home
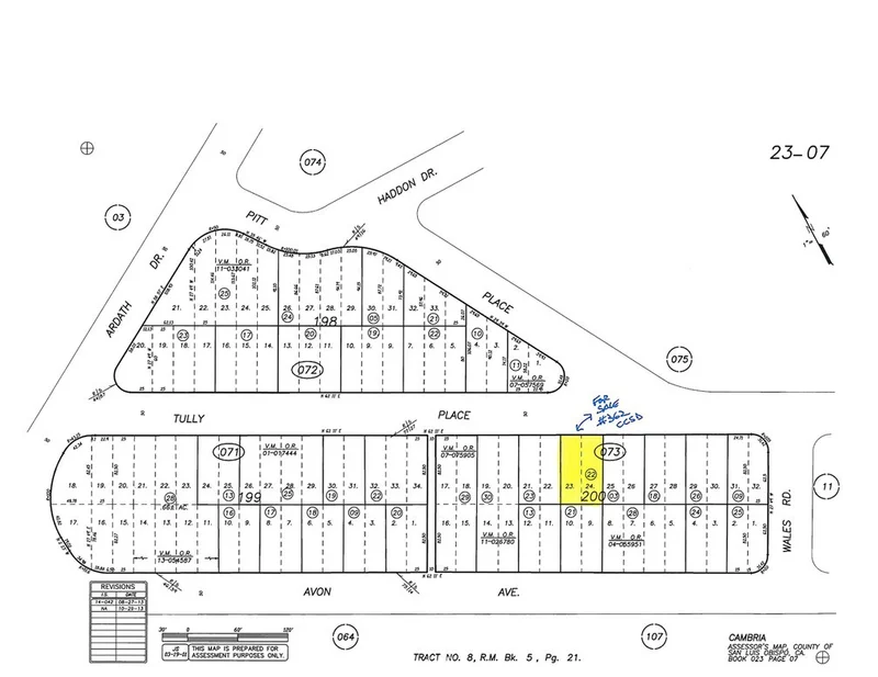
Rural and quiet part of Lodge Hill. Lots of wildlife, oaks & pines. West of Highway One & not far to the beach or ranch trails. #361 on CCSD water wait list. This is a double lot 4100+-sqft, 50'x 82.50' on a gentle down slope. Buy and hold for now until the current building moratorium for new construction is lifted. Check CCSD and county websites (cambriacsd.org & slocounty.ca.gov) for info on the moratorium & allowable uses for property. Offered for $39,000.
infoProperty Facts
Lot Size
4,100 sqft
Property Type
Water Position With Land
Days on Market
1090
HOA Fee
N/A
MLS #
SC22204783
chairInterior Details
garageParking
deckExterior & Lot
Lot & Grounds
Lot Features
Gentle Sloping, Rectangular Lot
Sewer
Public Sewer
Water Source
Public
diversity_3Community & HOA
Association Info
Community Features
Biking, Dog Park, Fishing, Hiking, Preserve Public Land, Rural
Mortgage Calculator
$0
Nearby Schools
| Rating | School Name |
|---|---|
9 | GreatSchools High (Demo) public School • ratio 22:1 |
7 | Valley View Elementary (Demo) public School • ratio 18:1 |
6 | Lincoln Middle School (Demo) public School • ratio 20:1 |
NR | St. Mary Example Academy (Demo) private School • ratio 12:1 |
Walkability
Market Insights
Estimated Value
Market Temperature
Balanced market
Avg. time on market
This is a Balanced Market. Homes are selling at a moderate pace.
Similar Homes You Might Like
Based on price, location, and features
No similar listings found at this time.
Recently Sold
No similar listings found at this time.