
2459 Sea Bonita Avenue, Thermal, CA 92274
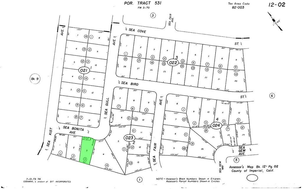
The address associated with this parcel is 2459 Sea Bonita Avenue, Salton City CA 92274. What is reflected is the Parcel# 012-023-003-000 which is +/-0.2484Acres. Zoning is R-1. Located in the area of Salton City which is Unincorporated Imperial County. Access via dirt Sea Bonita Avenue.
Lot Size
10,820 sqft
Days on Market
160
HOA Fee
N/A
MLS #
IG25133974
Lot Features
Desert Front, Value In Land
Rural
$0
| Rating | School Name | ||
|---|---|---|---|
| No school data available for this area. | |||
Balanced market
Avg. time on market
This is a Balanced Market. Homes are selling at a moderate pace.
Flood Risk
Minimal — not in a FEMA flood zone
Wildfire Risk
Moderate — near wildland-urban interface
Heat Risk
Low — moderate summer temperatures
Earthquake Risk
Southern California seismic zone
Based on price, location, and features
Topfind Realty, DRE # 02240815, is a licensed real estate broker in California. Topfind Realty pledges to support the Fair Housing Act and adhere to Equal Housing Opportunity laws.
Copyright © 2026 Topfind Realty. All Rights Reserved.