
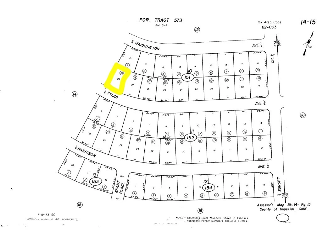
1388 Tyler Avenue, Thermal, CA 92274
Vacant land opportunity in Thermal, CA. This parcel offers approximately 10,214 square feet and is conveniently located near shopping, services, and major transportation routes including Highway 86 and State Route 22. The property provides a centrally located option for future development. Buyer to verify zoning, land use, utility availability, and all aspects of the property with the appropriate local agencies.
Lot Size
10,214 sqft
Days on Market
0
HOA Fee
N/A
MLS #
IG26015807
Lot Features
Rectangular Lot
Suburban
$0
| Rating | School Name | ||
|---|---|---|---|
| No school data available for this area. | |||
Balanced market
Avg. time on market
This is a Balanced Market. Homes are selling at a moderate pace.
Flood Risk
Minimal — not in a FEMA flood zone
Wildfire Risk
Moderate — near wildland-urban interface
Heat Risk
Low — moderate summer temperatures
Earthquake Risk
Southern California seismic zone
Based on price, location, and features
Topfind Realty, DRE # 02240815, is a licensed real estate broker in California. Topfind Realty pledges to support the Fair Housing Act and adhere to Equal Housing Opportunity laws.
Copyright © 2026 Topfind Realty. All Rights Reserved.