

4180 Tujunga, Studio City, CA 91604
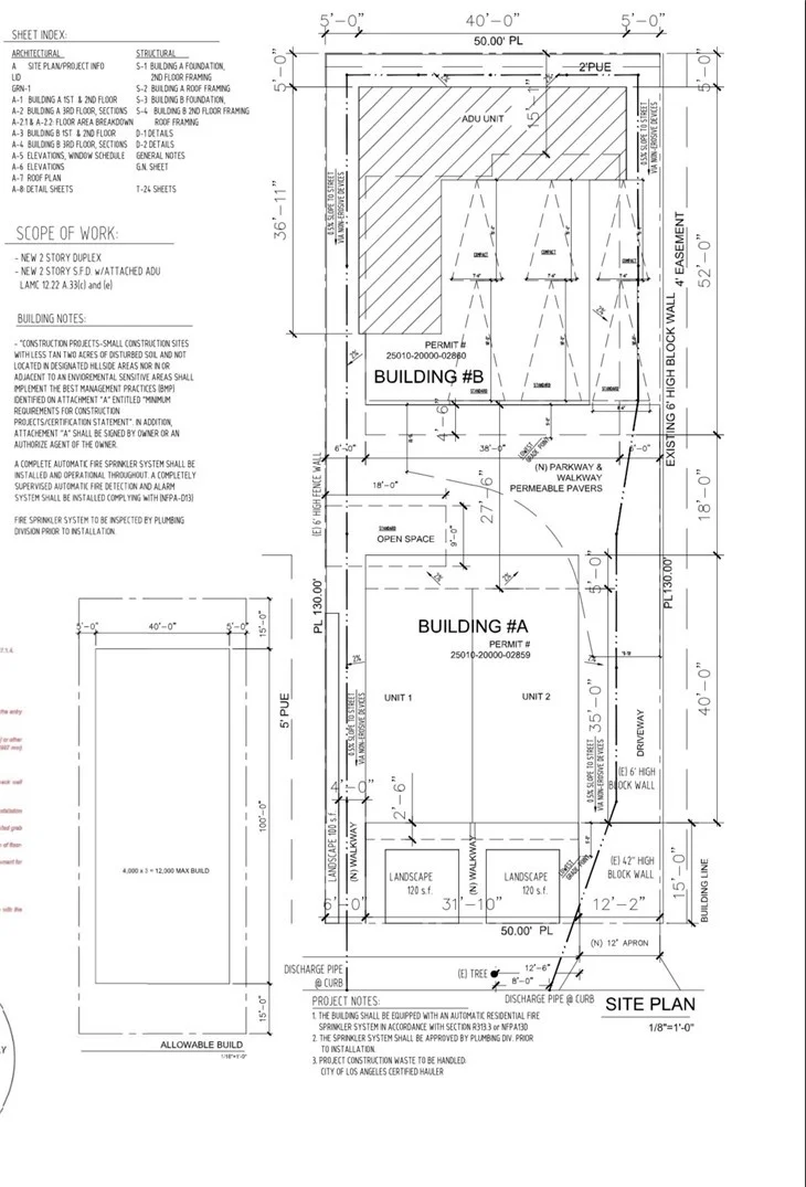
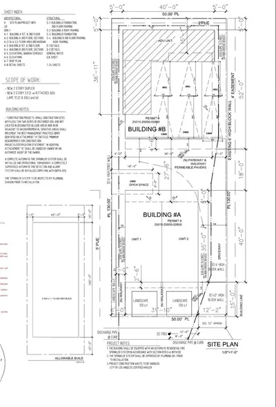
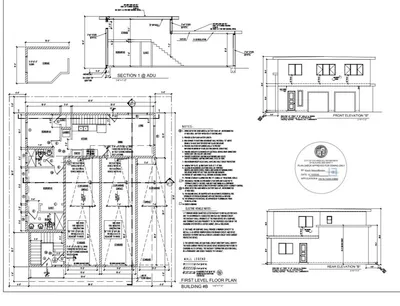
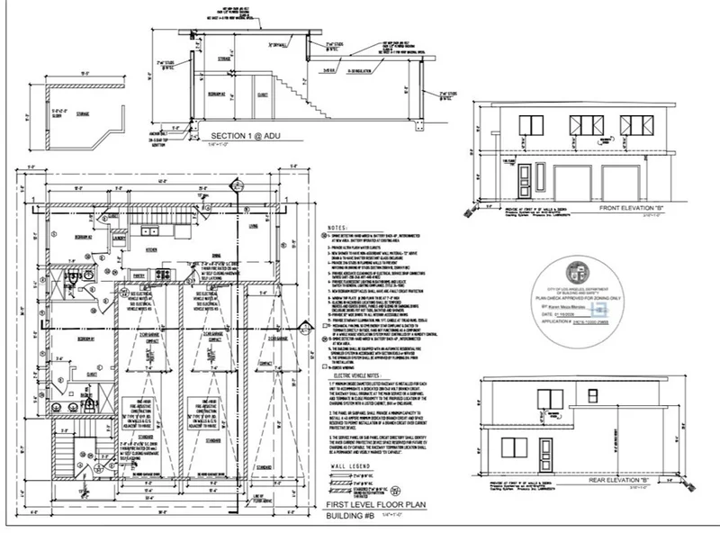
RTI development opportunity in a prime location with approved plans for 4 total units + ADU! Project includes a front duplex (Building A) featuring two spacious 2-story units, each designed with 3 bedrooms and 3 bathrooms, plus a rear 2-story Two unit with attached ADU (Building B), creating excellent flexibility for rental income or multigenerational use. Site plan includes dedicated parking, landscaped open space, and efficient pedestrian access throughout. Modern architectural design with strong unit layout, maximizing both livability and income potential. Ideal for builder, developer, or investor seeking a shovel-ready project in a high-demand rental market.
Bedrooms
11
Bathrooms
10
Square Feet
6,555
Lot Size
6,495 sqft
Year Built
1941
Property Type
Single Family Residence
Days on Market
1
HOA Fee
N/A
Garage Total
0
MLS #
SR26046782
Main Level Bedrooms
2
Main Level Bathrooms
1
Heating
Central
Lot Features
Back Yard
Sewer
Public Sewer
Water Source
Public
Gutters
$0
| Rating | School Name | ||
|---|---|---|---|
| No school data available for this area. | |||
Balanced market
Avg. time on market
This is a Balanced Market. Homes are selling at a moderate pace.
Flood Risk
Minimal — not in a FEMA flood zone
Wildfire Risk
Moderate — near wildland-urban interface
Heat Risk
Low — moderate summer temperatures
Earthquake Risk
Southern California seismic zone
Based on price, location, and features
Topfind Realty, DRE # 02240815, is a licensed real estate broker in California. Topfind Realty pledges to support the Fair Housing Act and adhere to Equal Housing Opportunity laws.
Copyright © 2026 Topfind Realty. All Rights Reserved.