

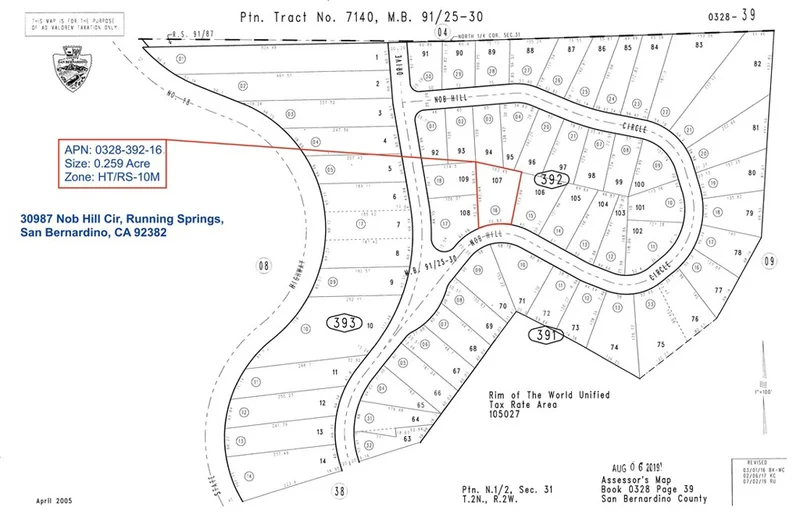
30987 Nob Hill Circle, Running Springs, CA 92382
Tucked away on the serene and highly desirable Nob Hill Circle, this beautiful vacant lot offers the perfect blend of peaceful living and everyday convenience. Wake up to fresh mountain air, enjoy quiet mornings surrounded by trees, and unwind under star-filled skies—all while staying close to the main highway for easy daily access. The property features gently rolling uphill terrain ideal for an easier build and lovely tree-lined views. With paved and plowed road access and nearby utilities, this lot is ready for your vision. Located in a calm, established neighborhood, it’s a great commuter location and just minutes from the ski slopes—perfect for full-time living or a mountain retreat.
Lot Size
11,264.62 sqft
Days on Market
0
HOA Fee
N/A
MLS #
SB26021545
Lot Features
Irregular Lot, Sloped Up
Water Source
Public
Biking, Hiking, Rural
$0
| Rating | School Name | ||
|---|---|---|---|
| No school data available for this area. | |||
Balanced market
Avg. time on market
This is a Balanced Market. Homes are selling at a moderate pace.
Flood Risk
Minimal — not in a FEMA flood zone
Wildfire Risk
Moderate — near wildland-urban interface
Heat Risk
Low — moderate summer temperatures
Earthquake Risk
Southern California seismic zone
Based on price, location, and features
Topfind Realty, DRE # 02240815, is a licensed real estate broker in California. Topfind Realty pledges to support the Fair Housing Act and adhere to Equal Housing Opportunity laws.
Copyright © 2026 Topfind Realty. All Rights Reserved.