
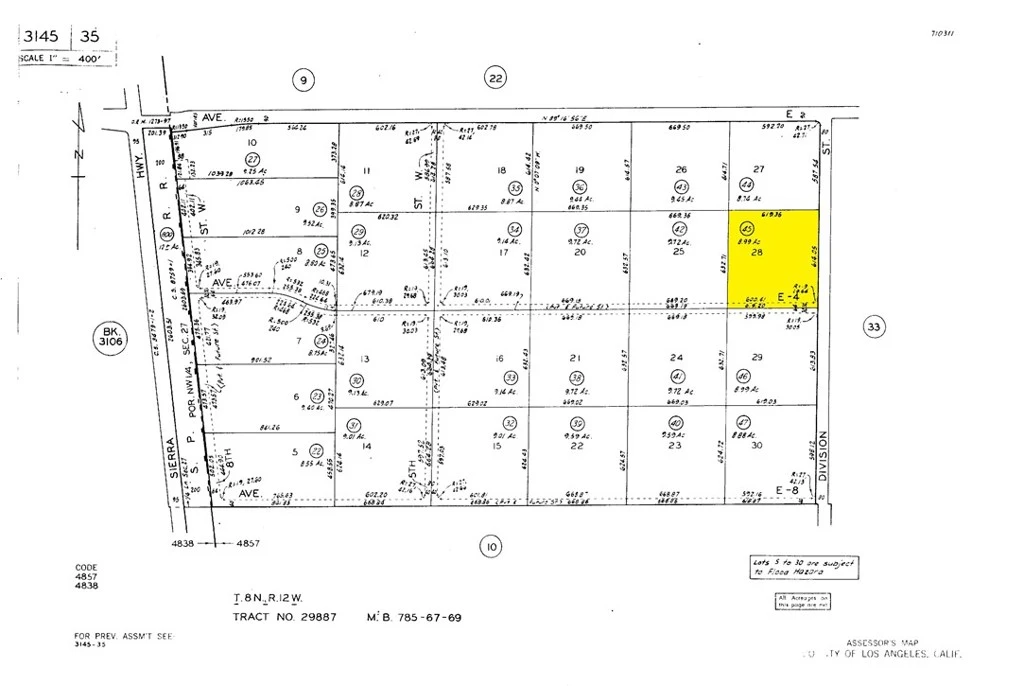
0 E Ave E4, Redman, CA 93535
Significant price reduction since last listing! Explore this expansive 9.4-acre parcel located on Ave E-4 in Lancaster, California. Identified by APN 3145-035-045, this property offers a wide range of potential uses and opportunities for future development or long-term investment. Its convenient location in the heart of Lancaster positions it well for growth, making it an attractive option for buyers looking for value and space. ****No soils reports, surveys, etc., have been done. Buyer and buyer's agent to verify all information with the city or county for allowable uses and requirements and rely on their own investigations. **Buyer responsible for checking zoning, utilities, permits and exact property boundaries. ****
Lot Size
412,646 sqft
Days on Market
0
HOA Fee
N/A
MLS #
SW25267564
Lot Features
Rectangular Lot
Water Source
See Remarks
Rural
$0
| Rating | School Name | ||
|---|---|---|---|
| No school data available for this area. | |||
Balanced market
Avg. time on market
This is a Balanced Market. Homes are selling at a moderate pace.
Based on price, location, and features
Topfind Realty, DRE # 02240815, is a licensed real estate broker in California. Topfind Realty pledges to support the Fair Housing Act and adhere to Equal Housing Opportunity laws.
Copyright © 2026 Topfind Realty. All Rights Reserved.