




$4,250,000
Est. $23,800/mo35335 Via Josefina, Rancho Mirage, CA 92270
About this home
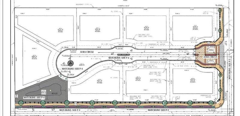
5 Acre parcel of land in the heart of Rancho Mirage, fully permitted subdivision of 8 buildable lots! Panoramic mountain views. 8 lots, between 0.41 and 0.48 acres. Small home on property now, occupied, that will need to be removed prior to building subdivision.3 blocks from Cotino by Disney. A day pass away from their spectacular lagoon, shopping and dining! Call agent for further details. Please check with city of Rancho Mirage for all building and utilities requirements.Jeri Rice 206 240 5324 Royale Real Estate.Cal BRE #02143288
infoProperty Facts
Bathrooms
0
Lot Size
217,800 sqft
Days on Market
100
HOA Fee
N/A
MLS #
219138167DA
chairInterior Details
garageParking
deckExterior & Lot
Mortgage Calculator
$0
Nearby Schools
| Rating | School Name |
|---|---|
9 | GreatSchools High (Demo) public School • ratio 22:1 |
7 | Valley View Elementary (Demo) public School • ratio 18:1 |
6 | Lincoln Middle School (Demo) public School • ratio 20:1 |
NR | St. Mary Example Academy (Demo) private School • ratio 12:1 |
Walkability
Market Insights
Estimated Value
Market Temperature
Balanced market
Avg. time on market
This is a Balanced Market. Homes are selling at a moderate pace.
Similar Homes You Might Like
Based on price, location, and features