




$34,900
Est. $195/mo0 250th St E/North Of Ave U, Palmdale, CA 93591
About this home
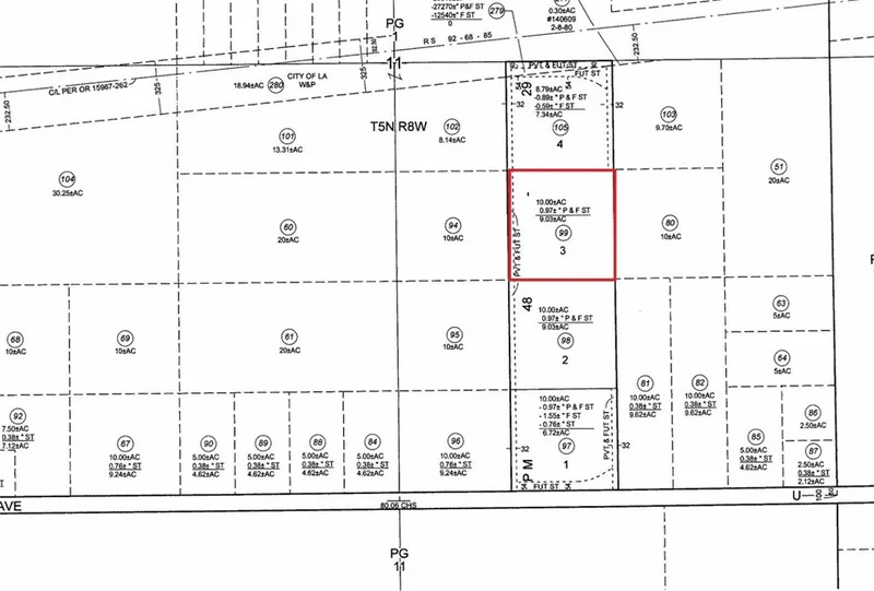
Huge land parcel for a great price! Just under 10 acres of land in the Llano area! This parcel is not far from the Pearblossom Hwy/Palmdale Rd junction, which makes this a nice central location between Palmdale and Victorville. It's also close to Ave U, which is a major street that helps to reach Pearblossom Hwy. This parcel is very close to the Grey Butte Airport, multiple farms, and multiple wildlife preservations. Per the county parcel map (attached to listing), the west side of this parcel is designated for a future street, which is believed to be 250th St E. This would mean that easements won't be necessary to access the land. This property is a great location for someone looking for a large land parcel in LA County close to Pearblossom Hwy, while also being secluded and off the grid. This may be a great location to camp, go off-roading, install a mobile home, build a house, or start a small farm. Great long-term investment, as well. Don't miss out!
infoProperty Facts
Lot Size
426,719 sqft
Days on Market
0
HOA Fee
N/A
MLS #
SR26035445
chairInterior Details
garageParking
deckExterior & Lot
Lot & Grounds
Lot Features
Horse Property, Lot Over40000 Sqft
diversity_3Community & HOA
Association Info
Community Features
Rural, Suburban
Mortgage Calculator
$0
Nearby Schools
| Rating | School Name |
|---|---|
9 | GreatSchools High (Demo) public School • ratio 22:1 |
7 | Valley View Elementary (Demo) public School • ratio 18:1 |
6 | Lincoln Middle School (Demo) public School • ratio 20:1 |
NR | St. Mary Example Academy (Demo) private School • ratio 12:1 |
Walkability
Market Insights
Estimated Value
Market Temperature
Balanced market
Avg. time on market
This is a Balanced Market. Homes are selling at a moderate pace.
Similar Homes You Might Like
Based on price, location, and features