


0 Garnet Avenue, Palm Springs, CA 92258
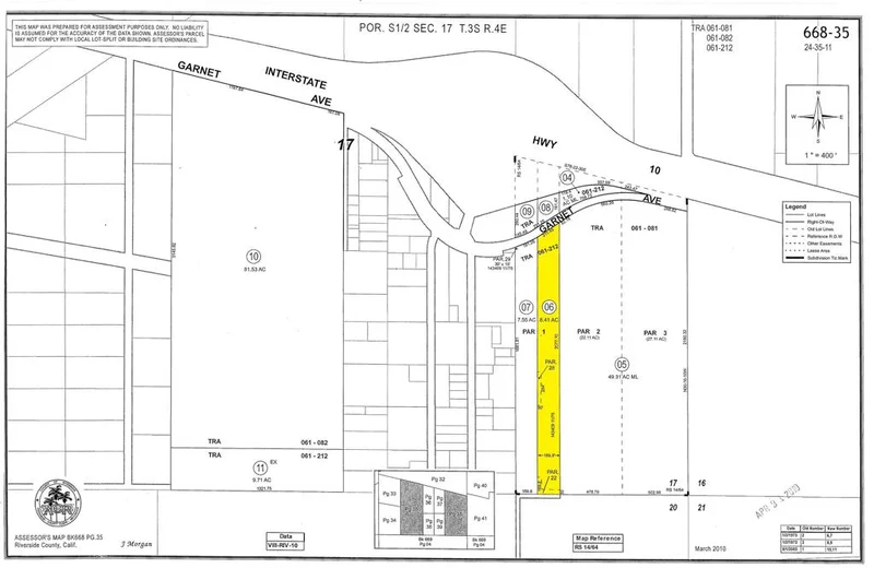
8.41 acres on Garnet Ave in North Palm Springs offering a rare opportunity for buyers seeking open desert land with flexibility and long-term upside. Zoned W-2, this expansive parcel allows for a variety of potential uses (buyer to verify with Riverside County), making it well suited for investment, land banking, or future development. The property is rectangular, mostly level, and accessible via Garnet Ave, with wide-open views of the surrounding desert and mountains. No utilities are currently on site, providing a blank slate for a buyer to design improvements as needed. Conveniently located near Interstate 10 and the Coachella Valley corridor, this large acreage parcel combines privacy, scale, and strong potential in a growing North Palm Springs area. Buyer to verify zoning, utilities, access, and allowable uses during due diligence. ****No soils reports, surveys, etc., have been done. Buyer and buyer's agent to verify all information with the city or county for allowable uses and requirements and rely on their own investigations. **Buyer responsible for checking zoning, utilities, permits and exact property boundaries. ****
Bathrooms
0
Lot Size
366,340 sqft
Days on Market
0
HOA Fee
N/A
MLS #
219141590DA
Sewer
Unknown
$0
| Rating | School Name | ||
|---|---|---|---|
| No school data available for this area. | |||
Balanced market
Avg. time on market
This is a Balanced Market. Homes are selling at a moderate pace.
Flood Risk
Minimal — not in a FEMA flood zone
Wildfire Risk
Moderate — near wildland-urban interface
Heat Risk
Low — moderate summer temperatures
Earthquake Risk
Southern California seismic zone
Based on price, location, and features
Topfind Realty, DRE # 02240815, is a licensed real estate broker in California. Topfind Realty pledges to support the Fair Housing Act and adhere to Equal Housing Opportunity laws.
Copyright © 2026 Topfind Realty. All Rights Reserved.