12 5th Street, Niland, CA 92257
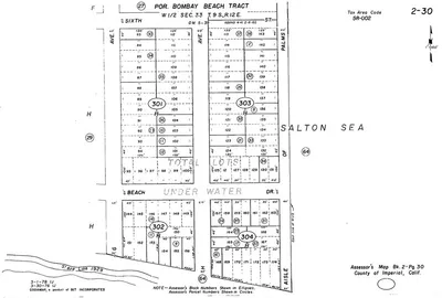
Affordable desert land in Imperial County! This 0.12-acre lot in Bombay Beach is available for just $1,800 with low annual taxes of $11.60. The lot sits within Block H of the Bombay Beach Tract, a unique community along the Salton Sea that has evolved into an eclectic hub for art, culture, and alternative living. The property features flat terrain, subdivision road access, and is well-suited for long-term investment, creative use, or a future home site with
Lot Size
5,400 sqft
Days on Market
2
HOA Fee
N/A
MLS #
OC25225694
| Rating | School Name |
|---|---|
| 9 | GreatSchools High (Demo) public |
| 7 | Valley View Elementary (Demo) public |
| 6 | Lincoln Middle School (Demo) public |
| NR | St. Mary Example Academy (Demo) private |
Based on price, location, and features
Topfind Realty, DRE # 02240815, is a licensed real estate broker in California. Topfind Realty pledges to support the Fair Housing Act and adhere to Equal Housing Opportunity laws.
Copyright © 2026 Topfind Realty. All Rights Reserved.