




$65,000
Est. $364/mo528181 08 National Trails Highway, Newberry Springs, CA 92365
About this home
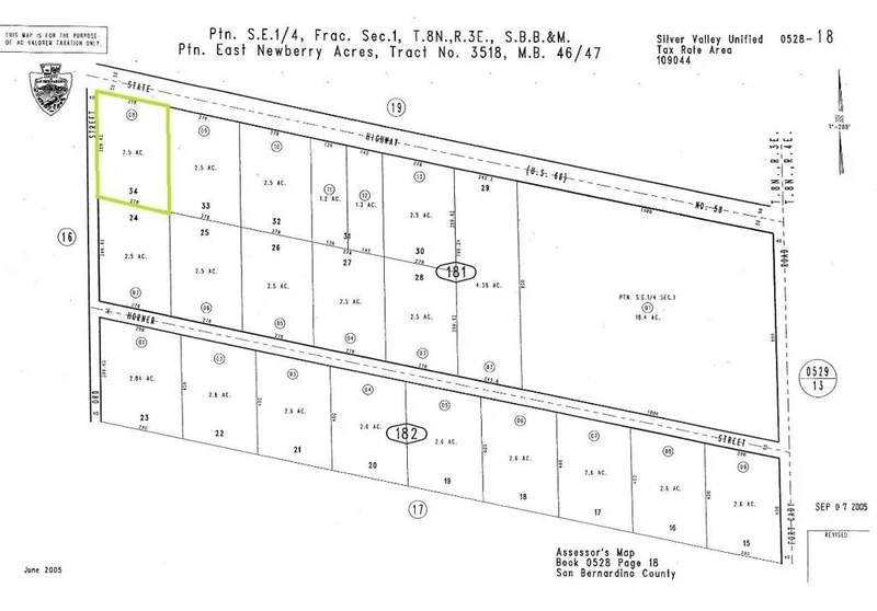
***COME VIEW AND MAKE AN OFFER TODAY! 2 and 1/2 acre COMMERCIALLY ZONED CORNER PARCEL located on Historic Route 66 and Ord St in expanding Newberry Springs, CA. The site is less than one block from the Interstate-40 and Fort Cady exit that sees tens of thousands drive by everyday on their way east to to Arizona and beyond. The parcel is adjacent to utility lines and is on paved frontage, close to the Newberry Mountain RV park. The commercial zoning allows for many possibilities from RV/Boat/Semi storage, billboards, service stations, and camping to name a few. There aren't many affordable, commercially zoned parcels close to an interstate exit, making this site a must see opportunity before it's too late. ***
infoProperty Facts
Lot Size
108,900 sqft
Days on Market
1696
HOA Fee
N/A
MLS #
536009
chairInterior Details
garageParking
deckExterior & Lot
Lot & Grounds
Lot Features
Horse Property, Level
Mortgage Calculator
$0
Nearby Schools
| Rating | School Name |
|---|---|
9 | GreatSchools High (Demo) public School • ratio 22:1 |
7 | Valley View Elementary (Demo) public School • ratio 18:1 |
6 | Lincoln Middle School (Demo) public School • ratio 20:1 |
NR | St. Mary Example Academy (Demo) private School • ratio 12:1 |
Walkability
Market Insights
Estimated Value
Market Temperature
Balanced market
Avg. time on market
This is a Balanced Market. Homes are selling at a moderate pace.
Similar Homes You Might Like
Based on price, location, and features
Recently Sold
No similar listings found at this time.