




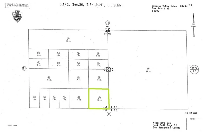
44872109 Green Rock Mine Road, Lucerne Valley, CA 92356
***Come VIEW and MAKE an OFFER TODAY! AFFORDABLE ACREAGE located in expanding Lucerne Valley CA. The 10-ACRE parcel, situated in the San Bernardino County High Desert, is zoned RC - Resource Conservation. The RC zoning allows for many agricultural, residential, recreational, commercial, and renewable energy possibilities. Tucked away in a secluded location, yet close to CA-18 and CA-247 Highways, offering easy access from Interstate-40, and Interstate-10. Plus the site is right in the middle of gorgeous natural surroundings, and not far away from scenic destinations like Big Bear Lake and Joshua Tree. An ideal spot for your own personal ranch or recreation area. Not to mention the potential for mitigation land banking, and with California increasing standards for renewable energy generation demand for desert acreage has started to increase. In addition, another nearby 20-ACRE parcel is available. See APN 0448-721-04. Each parcel can be purchased separately or as a package deal. Priced at only pennies per sf, this is a must see OPPORTUNITY before it's too later.***
Lot Size
435,600 sqft
Days on Market
156
HOA Fee
N/A
MLS #
HD25266051
Lot Features
Agricultural, Lot Over40000 Sqft, Level, Rectangular Lot
Water Source
See Remarks
Rural, Suburban, Valley
$0
| Rating | School Name | ||
|---|---|---|---|
| No school data available for this area. | |||
Balanced market
Avg. time on market
This is a Balanced Market. Homes are selling at a moderate pace.
Flood Risk
Minimal — not in a FEMA flood zone
Wildfire Risk
Moderate — near wildland-urban interface
Heat Risk
Low — moderate summer temperatures
Earthquake Risk
Southern California seismic zone
Based on price, location, and features
Topfind Realty, DRE # 02240815, is a licensed real estate broker in California. Topfind Realty pledges to support the Fair Housing Act and adhere to Equal Housing Opportunity laws.
Copyright © 2026 Topfind Realty. All Rights Reserved.