




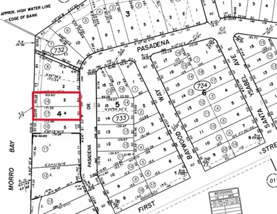
0 Pasadena, Los Osos, CA 93402
Prime bay side land in beautiful Baywood Park. Unobstructed views of the back bay. Two adjacent lots totaling over 17,000 square feet combined. Listing price includes both lots. Build your dream home! Plans for a 3000 sq. foot home are available. Just steps from the Baywood Park Farmers Market, High Street Deli, Baywood Market, restaurants, and shops. #18 on the Los Osos Waitlist for Building Permits *Buyer to verify any restrictions on building with SLO Planning Dept.
Lot Size
17,130 sqft
Days on Market
43
HOA Fee
N/A
MLS #
SC26007383
Lot Features
Item01 Unit Acre
Water Source
Public
Fishing, Hiking, Suburban
$0
| Rating | School Name | ||
|---|---|---|---|
| No school data available for this area. | |||
Balanced market
Avg. time on market
This is a Balanced Market. Homes are selling at a moderate pace.
Flood Risk
Minimal — not in a FEMA flood zone
Wildfire Risk
Moderate — near wildland-urban interface
Heat Risk
Low — moderate summer temperatures
Earthquake Risk
Southern California seismic zone
Based on price, location, and features
Topfind Realty, DRE # 02240815, is a licensed real estate broker in California. Topfind Realty pledges to support the Fair Housing Act and adhere to Equal Housing Opportunity laws.
Copyright © 2026 Topfind Realty. All Rights Reserved.