




$19,999
Est. $112/mo0 E Ave X, Llano, CA 93544
About this home
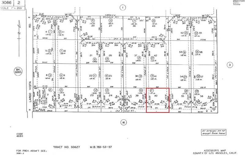
APN: 3086-002-021 Coordinates: 34.484278, -117.759583 2.31 acres for sale in LA County. This lot is located in Llano, CA near the corner of E Ave X and Largo Vista Rd. Excellent location off of Highway 138 and Largo Vista Rd. Quick access to Victorville and the Antelope Valley.
infoProperty Facts
Lot Size
100,695 sqft
Days on Market
12
HOA Fee
N/A
MLS #
IV25221499
chairInterior Details
garageParking
deckExterior & Lot
Lot & Grounds
Lot Features
Agricultural
diversity_3Community & HOA
Association Info
Community Features
Rural
Mortgage Calculator
$0
Nearby Schools
| Rating | School Name |
|---|---|
9 | GreatSchools High (Demo) public School • ratio 22:1 |
7 | Valley View Elementary (Demo) public School • ratio 18:1 |
6 | Lincoln Middle School (Demo) public School • ratio 20:1 |
NR | St. Mary Example Academy (Demo) private School • ratio 12:1 |
Walkability
Market Insights
Estimated Value
Market Temperature
Balanced market
Avg. time on market
This is a Balanced Market. Homes are selling at a moderate pace.
Similar Homes You Might Like
Based on price, location, and features