




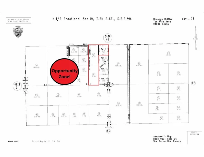
6113 Napa (@ Rainbow), Landers, CA 92285
12.5 Acres in Landers, CA – Opportunity Zone & NMTC Eligible Unlock powerful tax advantages with this 12.5-acre assemblage in Landers, CA, located within both a federally designated Opportunity Zone and a New Market Tax Credit Zone. Comprising two 5-acre parcels and one 2.5-acre parcel, this flat, buildable land offers water access and is situated just off a paved road—ideal for commercial, hospitality, or mixed-use development. Investment Highlights • Located in Opportunity Zone – Potential for capital gains tax deferral and exclusion • NMTC Eligible – Access to federal tax credits for qualifying development • 12.5 Acres Total (3 Legal Parcels) • Water Access On-Site • Near Paved Road for Easy Access • Panoramic Mountain Views • Minutes to Joshua Tree National Park – High tourism traffic • May be Ideal for Glamping, Eco-Lodges, or Mixed-Use Desert Development This property offers a rare blend of natural beauty and financial incentives—perfect for developers seeking long-term upside in a rapidly growing desert corridor. Short-Term Rental Developer MLS Description 12.5 Acres Near JTNP – Ideal for Vacation Rental Development Unlock the potential of this 12.5-acre parcel in Landers, CA—just a short drive from Joshua Tree National Park! Comprising two 5-acre parcels and one 2.5-acre parcel, this flat, buildable land with water access is perfect for creating a desert getaway compound or multiple short-term rental units. Located near a paved road for easy access, with panoramic mountain views and a tranquil setting that guests will love. A rare opportunity to build a high-demand destination in the heart of the High Desert.
Lot Size
217,800 sqft
Days on Market
0
HOA Fee
N/A
MLS #
OC25206622
Lot Features
Two To Five Units Acre, Corner Lot, Desert Back, Desert Front, Lot Over40000 Sqft, Level
Water Source
Public
Rural
$0
| Rating | School Name | ||
|---|---|---|---|
| No school data available for this area. | |||
Balanced market
Avg. time on market
This is a Balanced Market. Homes are selling at a moderate pace.
Flood Risk
Minimal — not in a FEMA flood zone
Wildfire Risk
Moderate — near wildland-urban interface
Heat Risk
Low — moderate summer temperatures
Earthquake Risk
Southern California seismic zone
Based on price, location, and features
Topfind Realty, DRE # 02240815, is a licensed real estate broker in California. Topfind Realty pledges to support the Fair Housing Act and adhere to Equal Housing Opportunity laws.
Copyright © 2026 Topfind Realty. All Rights Reserved.