2 AC Near W Ave F8, Lancaster, CA 93536
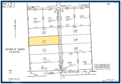
2+ Acres Light Industrial Lot (APN: 3107-003-004 ) GPS: 34.74196, -118.19523 This Light Industrial property sits within the city limits of Lancaster, CA. The property sits to the east of General William J. Fox Airfield, adjacent to the Apollo Community Regional Park and just north of the Musical Road (W Ave G). The City of Lancaster has zoned this property as Light Industrial. The property sits within the Fox Field Specific Plan. The Light Industrial zoning allows for many different uses such as auto repair, building trades, communication facilities, food manufacturing, public safety facilities, public services, repair services, research and development. Buyers should consult directly with the city planning department for specific allowed uses and the permitting processes. Electricity is approximately 1850 feet north of the property along W Ave F. Water and sewer may be available at Fox Airfield, Buyers should check with the city as to exact distances and fees. This property does not yet have an address, the address listed is for marketing purposes only. While the boundary lines on the map offer a glimpse, they are only approximate. A Buyer should verify boundaries, zoning and utilities, ensuring every aspect aligns with their vision for the property. Use GPS to locate the property GPS: 34.74196, -118.19523
Lot Size
117,144 sqft
Days on Market
0
HOA Fee
N/A
MLS #
HD26061246
Lot Features
Desert Back, Desert Front, Lot Over40000 Sqft, Rectangular Lot
Park, Rural
$0
| Rating | School Name |
|---|---|
9 | GreatSchools High (Demo) public School • ratio 22:1 |
7 | Valley View Elementary (Demo) public School • ratio 18:1 |
6 | Lincoln Middle School (Demo) public School • ratio 20:1 |
NR | St. Mary Example Academy (Demo) private School • ratio 12:1 |
Balanced market
Avg. time on market
This is a Balanced Market. Homes are selling at a moderate pace.
Based on price, location, and features
Topfind Realty, DRE # 02240815, is a licensed real estate broker in California. Topfind Realty pledges to support the Fair Housing Act and adhere to Equal Housing Opportunity laws.
Copyright © 2026 Topfind Realty. All Rights Reserved.