
16 E Avenue F-12 Street, Lancaster, CA 93535
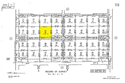
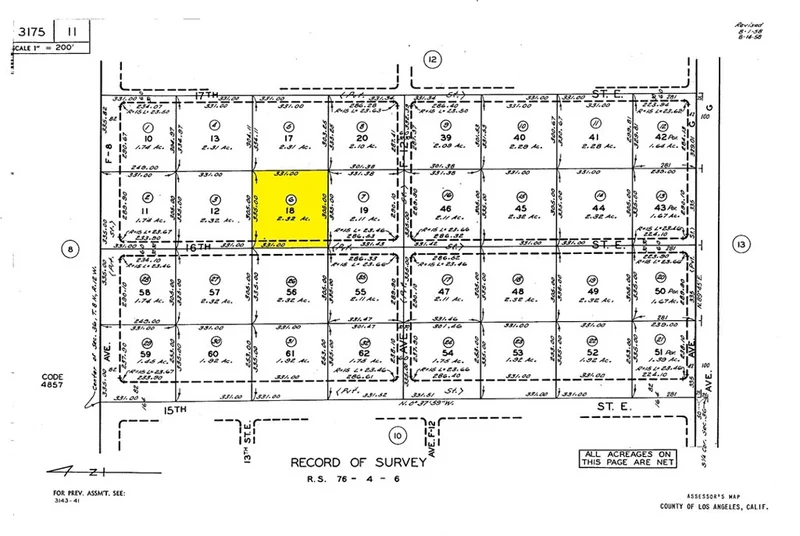
Prime 2.54-acre industrial parcel located on 16th St E in Lancaster (APN: 3175-011-006), perfectly positioned less than 3 miles from State Route 14 and Sierra Highway. Zoned LCM1 (Los Angeles County Limited Industrial), this versatile property allows for a wide range of industrial and agricultural uses, making it ideal for business ventures, storage facilities, contractor yards, or agricultural operations. The lot has no utilities on site and features expansive frontage, providing excellent visibility and accessibility. Situated in a growing area with convenient access to major transportation routes and Lancaster’s local amenities, this parcel offers outstanding flexibility and long-term potential. A rare opportunity to acquire well-located industrial land in the heart of Lancaster, contact us today for more information.****No soils reports, surveys, etc., have been done. Buyer and buyer's agent to verify all information with the city or county for allowable uses and requirements and rely on their own investigations. **Buyer responsible for checking zoning, utilities, permits and exact property boundaries. ****
Lot Size
110,729 sqft
Days on Market
0
HOA Fee
N/A
MLS #
SW26022755
Lot Features
Rectangular Lot
Water Source
See Remarks
Rural
$0
| Rating | School Name | ||
|---|---|---|---|
| No school data available for this area. | |||
Balanced market
Avg. time on market
This is a Balanced Market. Homes are selling at a moderate pace.
Flood Risk
Minimal — not in a FEMA flood zone
Wildfire Risk
Moderate — near wildland-urban interface
Heat Risk
Low — moderate summer temperatures
Earthquake Risk
Southern California seismic zone
Based on price, location, and features
Topfind Realty, DRE # 02240815, is a licensed real estate broker in California. Topfind Realty pledges to support the Fair Housing Act and adhere to Equal Housing Opportunity laws.
Copyright © 2026 Topfind Realty. All Rights Reserved.