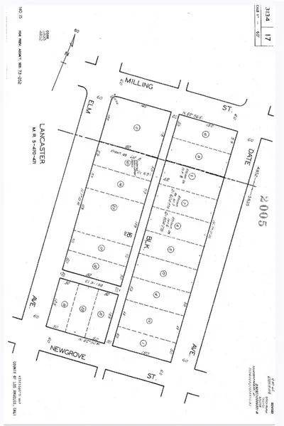
0 Newgrove Street, Lancaster, CA 93534
Discover an incredible investment opportunity in the heart of Lancaster! This prime 0.17-acre 7,500 sq ft corner lot is perfectly situated at the intersection of Date Avenue and Newgrove Street. With a desirable location and convenient access to local amenities, schools, and major roadways, this lot is an ideal canvas for your next project. Zoned LRC2*, it offers a wide range of possibilities for development. Architecural plans for a four unit apartment complex available, boundary plan, topo plan. Don't miss your chance to own a piece of this rapidly growing Antelope Valley community. Buyer to verify all information regarding zoning, utilities, and building codes. GPS coordinates: 34.694523, -118.14057. All information has been obtained from sources deemd reliable and is provided here without any guaranty of accuracy by seller or listing broker. Buyer is advised to verify all information and the suitability of the parcel for buyer's intended use with the city of Lancaster's planning department.
Lot Size
7,509 sqft
Days on Market
2
HOA Fee
N/A
MLS #
BB25184375
Lot Features
Corner Lot
Water Source
Public
Biking, Curbs, Park, Street Lights, Sidewalks
$0
| Rating | School Name |
|---|---|
9 | GreatSchools High (Demo) public School • ratio 22:1 |
7 | Valley View Elementary (Demo) public School • ratio 18:1 |
6 | Lincoln Middle School (Demo) public School • ratio 20:1 |
NR | St. Mary Example Academy (Demo) private School • ratio 12:1 |
Balanced market
Avg. time on market
This is a Balanced Market. Homes are selling at a moderate pace.
Based on price, location, and features
Topfind Realty, DRE # 02240815, is a licensed real estate broker in California. Topfind Realty pledges to support the Fair Housing Act and adhere to Equal Housing Opportunity laws.
Copyright © 2026 Topfind Realty. All Rights Reserved.