

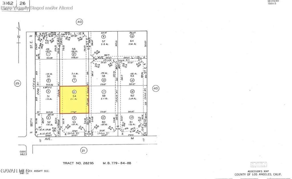
0 E 181st Street E, Lancaster, CA 93535
APN: 3162-026-006 Coordinates: 34.647222, -117.807472 2.57 Acre lot for sale in LA County. This lot is located on E Avenue M and 181st ST E in Lancaster, CA. This property is zoned for agricultural use, per county records. Excellent location and size. Build a home or live off grid.
Lot Size
111,922 sqft
Days on Market
0
HOA Fee
N/A
MLS #
IV26065840
Lot Features
Agricultural
Rural
$0
| Rating | School Name | ||
|---|---|---|---|
| No school data available for this area. | |||
Balanced market
Avg. time on market
This is a Balanced Market. Homes are selling at a moderate pace.
Based on price, location, and features
Topfind Realty, DRE # 02240815, is a licensed real estate broker in California. Topfind Realty pledges to support the Fair Housing Act and adhere to Equal Housing Opportunity laws.
Copyright © 2026 Topfind Realty. All Rights Reserved.