




0 80th Street East, Lancaster, CA 93535
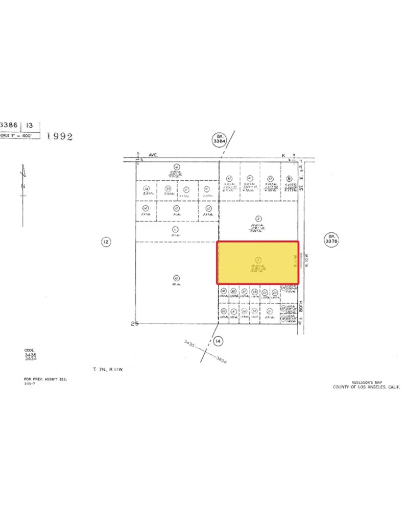
**±20 acres of level, usable land located within the City of Lancaster limits, offering direct frontage on 80th Street East, approximately 700 feet south of Avenue K. The property is well positioned for a small residential subdivision, estate homes, or low-density development. Zoned RR2.5 (Residential Rural – 2.3 to 2.5-acre minimum lot sizes), the site presents potential for approximately six (6) residential lots plus ADU potential, subject to City approvals, subdivision mapping, and buyer verification of zoning, density, and development standards. Flat topography supports efficient subdivision design and reduced grading costs. Utility activity has been observed near the southwest corner of Avenue K and 80th Street East, including water line and power meter installations (buyer to verify utility availability, capacity, and connection points). The property benefits from proximity to paved Avenue K, providing access to Lancaster amenities, schools, and commuter routes, while maintaining a rural setting surrounded by agricultural uses. Ideal for developers, builders, or long-term investors seeking a manageable residential subdivision project in East Lancaster’s growth corridor.
Lot Size
865,972.8 sqft
Days on Market
63
HOA Fee
N/A
MLS #
SR25272843
Lot Features
Agricultural
Water Source
None, See Remarks
Foothills
$0
| Rating | School Name |
|---|---|
9 | GreatSchools High (Demo) public School • ratio 22:1 |
7 | Valley View Elementary (Demo) public School • ratio 18:1 |
6 | Lincoln Middle School (Demo) public School • ratio 20:1 |
NR | St. Mary Example Academy (Demo) private School • ratio 12:1 |
Balanced market
Avg. time on market
This is a Balanced Market. Homes are selling at a moderate pace.
Based on price, location, and features
Topfind Realty, DRE # 02240815, is a licensed real estate broker in California. Topfind Realty pledges to support the Fair Housing Act and adhere to Equal Housing Opportunity laws.
Copyright © 2026 Topfind Realty. All Rights Reserved.