




$699,996
Est. $3,920/mo9701 Foothill Boulevard, Lakeview Terrace, CA 91342
About this home
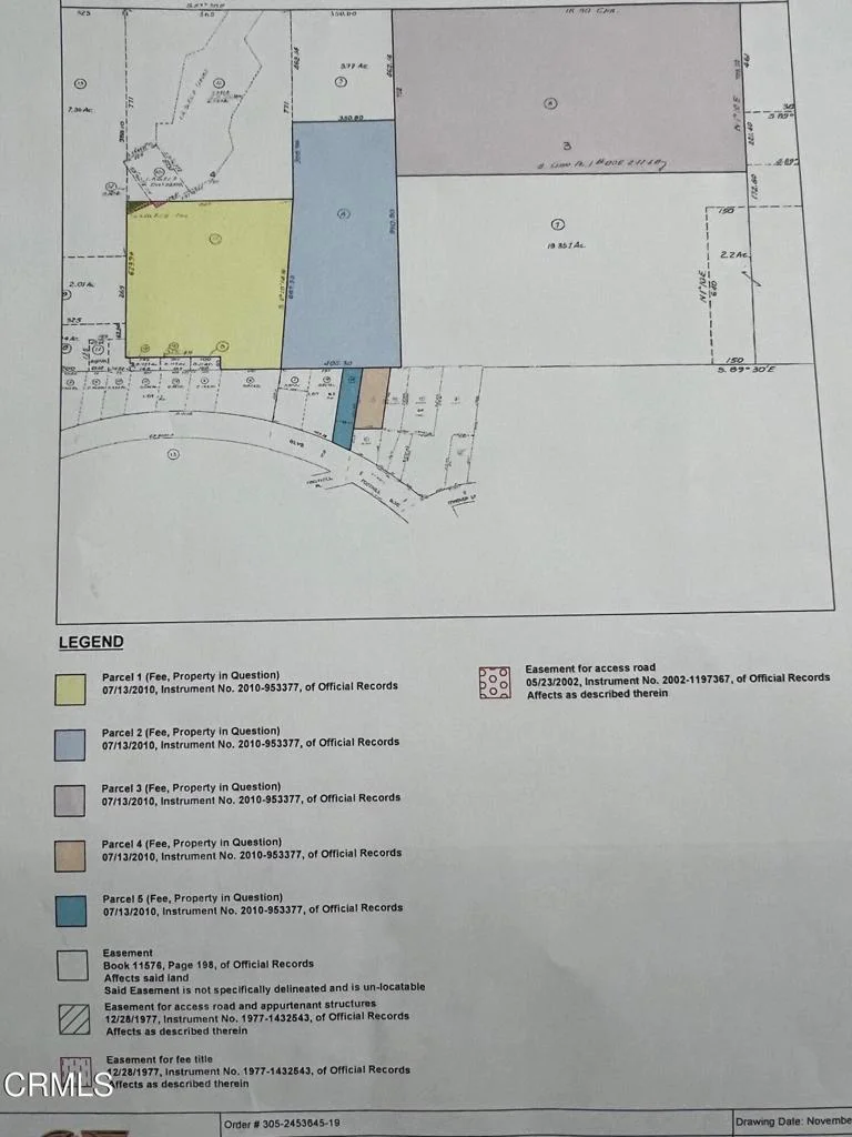
This is one for your imagination. There are 5 separate lots that all touch one another totaling over 43.5 acres. Located in the mountains north of Foothill Blvd. Lakeview Terrace offers a real mix of 'country meets city.' The area includes semi-rural homes with some equestrian properties and more typical suburban subdivisions. Horsekeeping is part of the local lifestyle, with horse properties, stables and nearby trails -- it's one of the few LA neighborhoods still zoned for this. It is also near to Hansen Dam Recreation Area a huge multi-use park with hiking/biking trails, picnic areas, fishing, a recreation lake, sports fields, open space, and more.
infoProperty Facts
Bathrooms
0
Lot Size
1,891,375.2 sqft
Days on Market
1
HOA Fee
N/A
MLS #
P1-25638
chairInterior Details
garageParking
deckExterior & Lot
Lot & Grounds
Lot Features
Horse Property, Sprinklers None
Water Source
Public
diversity_3Community & HOA
Association Info
Community Features
Hiking, Horse Trails
Mortgage Calculator
$0
Nearby Schools
| Rating | School Name |
|---|---|
9 | GreatSchools High (Demo) public School • ratio 22:1 |
7 | Valley View Elementary (Demo) public School • ratio 18:1 |
6 | Lincoln Middle School (Demo) public School • ratio 20:1 |
NR | St. Mary Example Academy (Demo) private School • ratio 12:1 |
Walkability
Market Insights
Estimated Value
Market Temperature
Balanced market
Avg. time on market
This is a Balanced Market. Homes are selling at a moderate pace.
Similar Homes You Might Like
Based on price, location, and features
No similar listings found at this time.
Recently Sold
No similar listings found at this time.