
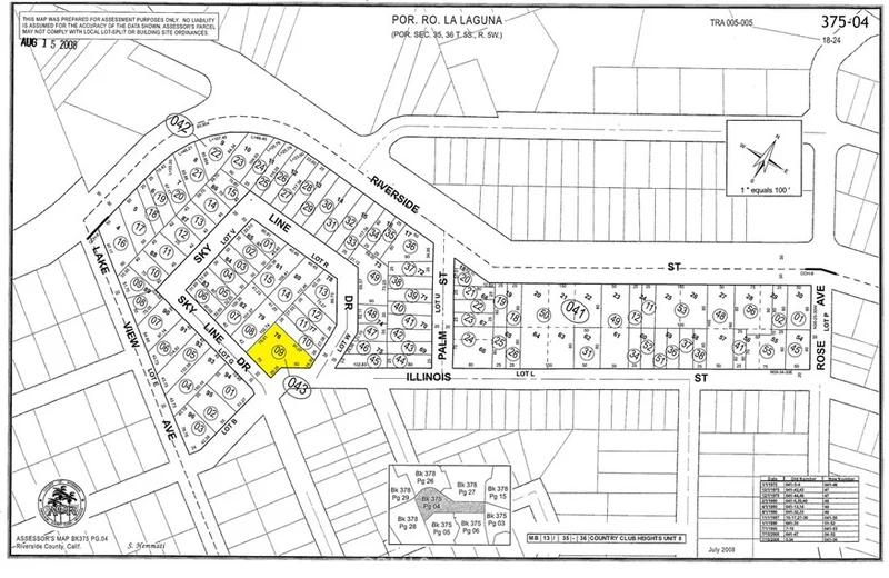
0 Skyline Drive, Lake Elsinore, CA 92530
Discover the potential of this 0.16-acre parcel on Skyline Drive in Lake Elsinore, where natural beauty and convenience come together. Set against rolling hills with impressive views of the surrounding landscape, this property offers an excellent opportunity to create a custom home in one of the area’s most scenic residential pockets. According to the Assessor, this parcel is designated as a residential lot; however, buyers are encouraged to verify zoning, allowable uses, and all development requirements directly with the City Planning Department. The location combines a quiet, elevated setting with close proximity to shopping, dining, schools, and outdoor recreation, including the lake and nearby trails. Whether you're looking to build now or hold for future development, this lot provides a promising foothold in a growing and highly desirable community. Don't miss the chance to secure a quality piece of Lake Elsinore real estate. ****No soils reports, surveys, etc., have been done. Buyer and buyer's agent to verify all information with the city or county for allowable uses and requirements and rely on their own investigations. **Buyer responsible for checking zoning, utilities, permits and exact property boundaries. ****
Lot Size
6,970 sqft
Days on Market
0
HOA Fee
N/A
MLS #
SW25270257
Lot Features
Rectangular Lot
Water Source
See Remarks
Suburban
$0
| Rating | School Name | ||
|---|---|---|---|
| No school data available for this area. | |||
Balanced market
Avg. time on market
This is a Balanced Market. Homes are selling at a moderate pace.
Flood Risk
Minimal — not in a FEMA flood zone
Wildfire Risk
Moderate — near wildland-urban interface
Heat Risk
Low — moderate summer temperatures
Earthquake Risk
Southern California seismic zone
Based on price, location, and features
Topfind Realty, DRE # 02240815, is a licensed real estate broker in California. Topfind Realty pledges to support the Fair Housing Act and adhere to Equal Housing Opportunity laws.
Copyright © 2026 Topfind Realty. All Rights Reserved.