




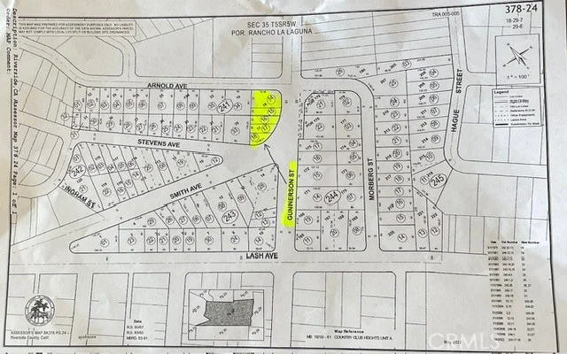
0 Gunnerson, Lake Elsinore, CA 92530
Five Lots are included in this sale. Total square footage of all lots is 14,810 sq ft. All for one low price. Let's get ready to build! Beautiful lot with some mature trees. Currently zoned for two Single family homes. Buyer to check with the city to find any updates Great location. Close to Services. Shopping nearby. Includes these lots: 378-241-014 (5,227/.12 acres) 378-241-015 (2,614/.06 acres) 378-241-016 (2,613/.06 acres) 378-241-017 (2,178/.05 acres) 378-241-018 (2,178/.05 acres)
Lot Size
2,614 sqft
Days on Market
559
HOA Fee
N/A
MLS #
IG24030080
Lot Features
Sloped Up, Value In Land
Sewer
Public Sewer
Water Source
Public
Biking, Street Lights
$0
| Rating | School Name | ||
|---|---|---|---|
| No school data available for this area. | |||
Balanced market
Avg. time on market
This is a Balanced Market. Homes are selling at a moderate pace.
Flood Risk
Minimal — not in a FEMA flood zone
Wildfire Risk
Moderate — near wildland-urban interface
Heat Risk
Low — moderate summer temperatures
Earthquake Risk
Southern California seismic zone
Based on price, location, and features
Topfind Realty, DRE # 02240815, is a licensed real estate broker in California. Topfind Realty pledges to support the Fair Housing Act and adhere to Equal Housing Opportunity laws.
Copyright © 2026 Topfind Realty. All Rights Reserved.