




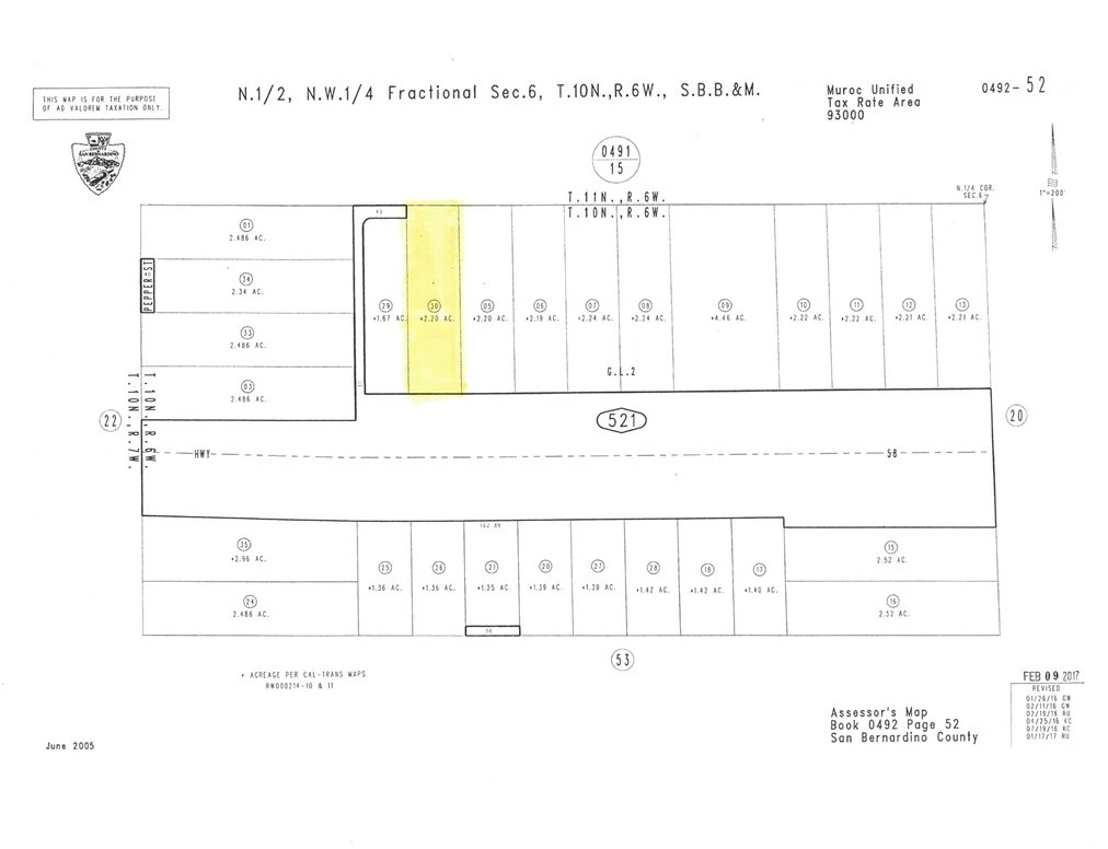
0 Salton Rd. 58 Hwy (Mojave Barstow), Kramer Junction, CA 92342
2.2 acres (164'X595') located on Salton Road at North west of the intersection of 395 Highway and 58 Highway in Kramer Junction close to all the stores on 395 and Old Highway 58. Located along the north side of Highway 58. Easy commute into neighboring cities including Boron, Barstow and Adelanto. Close to Edwards Air Force Base. Property next door (APN: 0492-521-29) can also be purchased together with the subject property. Seller may consider just selling 1 lot only. There is not an address associated with these parcels. Located in the Kramer Junction area which is Unincorporated San Bernardino County. Plaese use the following GPS coordinates to locate the property: 34.998009 -117.558801
Lot Size
95,832 sqft
Days on Market
840
HOA Fee
N/A
MLS #
SR23224909
Lot Features
Lot Over40000 Sqft, Rectangular Lot
Water Source
See Remarks
Rural, Suburban
$0
| Rating | School Name | ||
|---|---|---|---|
| No school data available for this area. | |||
Balanced market
Avg. time on market
This is a Balanced Market. Homes are selling at a moderate pace.
Flood Risk
Minimal — not in a FEMA flood zone
Wildfire Risk
Moderate — near wildland-urban interface
Heat Risk
Low — moderate summer temperatures
Earthquake Risk
Southern California seismic zone
Based on price, location, and features
Topfind Realty, DRE # 02240815, is a licensed real estate broker in California. Topfind Realty pledges to support the Fair Housing Act and adhere to Equal Housing Opportunity laws.
Copyright © 2026 Topfind Realty. All Rights Reserved.