


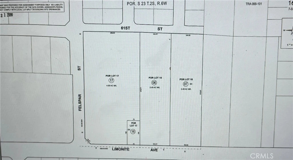
9149 Limonite, Jurupa Valley, CA 92509
Prime opportunity to own approximately 0.22 acres of vacant commercial land zoned CPS (Commercial Scenic), offering excellent potential for development and investment. This flat, usable parcel is ideally situated in a growing area with strong demand, providing great visibility and accessibility for a variety of commercial uses (buyer to verify). The CPS zoning promotes attractive, high-quality development, making it well-suited for retail, professional, or service-oriented uses. Surrounded by expanding residential and commercial growth, this property presents a valuable opportunity for developers, investors, or owner-users looking to establish a presence in an evolving corridor. Utilities are nearby (buyer to verify). With its strategic location and versatile potential, this parcel is ideal for building now or holding for future appreciation. Buyer to conduct their own due diligence regarding zoning, utilities, and permitted uses.
Lot Size
9,583 sqft
Days on Market
0
HOA Fee
N/A
MLS #
SW26076057
Lot Features
Zero To One Unit Acre
Curbs, Urban
$0
| Rating | School Name | ||
|---|---|---|---|
| No school data available for this area. | |||
Balanced market
Avg. time on market
This is a Balanced Market. Homes are selling at a moderate pace.
Based on price, location, and features
Topfind Realty, DRE # 02240815, is a licensed real estate broker in California. Topfind Realty pledges to support the Fair Housing Act and adhere to Equal Housing Opportunity laws.
Copyright © 2026 Topfind Realty. All Rights Reserved.