
$15,000
Est. $84/mo0 Longview x Old Homestead, Juniper Hills, CA 93553
About this home
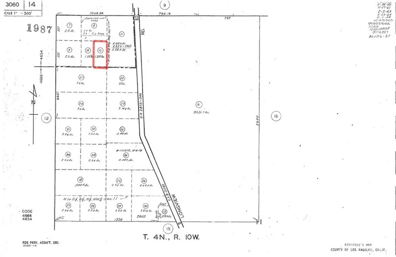
Starry Nights and no traffic to fight make Juniper Hills the place that's right! Why buy someone else's nightmare when you can make your custom home dreams come true? Great opportunity with this 1.24 acre parcel located near the corner of Longview Road (County Highway N6) and Old Homestead. Three homes already built proximate to the property, so you should have ready access to most utilities, but buyer must verify. Or, set up your own ''off the grid'' Ponderosa with an orchard and raised bed garden plots! Ideal for the nature lover, with wide-open desert vistas and view of the snow-capped mountains in the winter, and easy access to the Devil's Punchbowl and its many hiking trails. Perfect lot to use as your own private campground so you can leave that tract home rut behind for stunning horizons and crisp cool nights! Invest in California, don't wait to buy land, buy land and wait! *According to Property Profile an ingress/egress easement exists, Buyer to make their own independent investigations regarding that plus regarding zoning & General Plan Designations, Hazard Zones, Availability of utilities and cost, water source & joshua tree requirements.
infoProperty Facts
Lot Size
54,219 sqft
Days on Market
3
HOA Fee
N/A
MLS #
SR26050622
chairInterior Details
garageParking
deckExterior & Lot
Lot & Grounds
Lot Features
Agricultural, Desert Back, Desert Front, Horse Property, Lot Over40000 Sqft, Rectangular Lot
diversity_3Community & HOA
Association Info
Community Features
Near National Forest, Rural
Mortgage Calculator
$0
Nearby Schools
| Rating | School Name |
|---|---|
9 | GreatSchools High (Demo) public School • ratio 22:1 |
7 | Valley View Elementary (Demo) public School • ratio 18:1 |
6 | Lincoln Middle School (Demo) public School • ratio 20:1 |
NR | St. Mary Example Academy (Demo) private School • ratio 12:1 |
Walkability
Market Insights
Estimated Value
Market Temperature
Balanced market
Avg. time on market
This is a Balanced Market. Homes are selling at a moderate pace.
Similar Homes You Might Like
Based on price, location, and features
No similar listings found at this time.
Recently Sold
No similar listings found at this time.