




$89,800
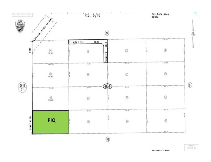
Est. $503/mo7217 Sunny Vista Road, Joshua Tree, CA 92252
About this home
Is there any place in California as cool as Joshua Tree? What can make it better? This land. 1.18 acres of view property that is within five miles of the Park entrance and on a paved road. You can enjoy the peaceful desert feeling and have space around you. Views to the north and east are simply amazing. You can see the Village lights at night. You can see over 20 miles across the desert to the Base. Sunrises and sunsets will forever be your favorites and still change daily. Very few Joshua Trees to deal with. Power and water on site. Even better, the adjoining lot on the east is also available. Build your own resort and come bask in the desert sun.
infoProperty Facts
Lot Size
51,400 sqft
Days on Market
68
HOA Fee
N/A
MLS #
JT25245356
chairInterior Details
garageParking
deckExterior & Lot
Lot & Grounds
Lot Features
Desert Back, Desert Front, Horse Property
Water Source
Public
diversity_3Community & HOA
Association Info
Community Features
Foothills, Hiking, Horse Trails, Rural
Mortgage Calculator
$0
Nearby Schools
| Rating | School Name |
|---|---|
9 | GreatSchools High (Demo) public School • ratio 22:1 |
7 | Valley View Elementary (Demo) public School • ratio 18:1 |
6 | Lincoln Middle School (Demo) public School • ratio 20:1 |
NR | St. Mary Example Academy (Demo) private School • ratio 12:1 |
Walkability
Market Insights
Estimated Value
Market Temperature
Balanced market
Avg. time on market
This is a Balanced Market. Homes are selling at a moderate pace.
Similar Homes You Might Like
Based on price, location, and features