




$39,000
Est. $218/mo0 California Avenue, Joshua Tree, CA 92252
About this home
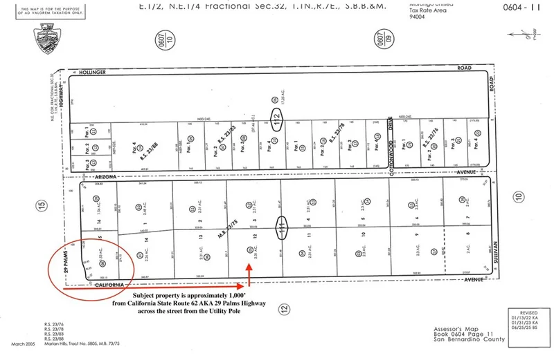
Pretty much level 2.31 acre parcel not far from the popular Joshua Tree National Park on the Park side of the Highway. Nearby Utility poles. Beautiful views of the Mountains, great access to the property on a signed and graded road about 1000’ from California State Route 62 aka 29 palms Highway. APPROXIMATE GPS Coordinates from google maps: 34°07'54.1"N 116°16’06.7"W
infoProperty Facts
Lot Size
100,623.6 sqft
Days on Market
2
HOA Fee
N/A
MLS #
NP26033784
chairInterior Details
garageParking
deckExterior & Lot
Lot & Grounds
Lot Features
Two To Five Units Acre, Lot Over40000 Sqft
Water Source
Other
diversity_3Community & HOA
Association Info
Community Features
Foothills, Hiking, Near National Forest
Mortgage Calculator
$0
Nearby Schools
| Rating | School Name |
|---|---|
9 | GreatSchools High (Demo) public School • ratio 22:1 |
7 | Valley View Elementary (Demo) public School • ratio 18:1 |
6 | Lincoln Middle School (Demo) public School • ratio 20:1 |
NR | St. Mary Example Academy (Demo) private School • ratio 12:1 |
Walkability
Market Insights
Estimated Value
Market Temperature
Balanced market
Avg. time on market
This is a Balanced Market. Homes are selling at a moderate pace.
Similar Homes You Might Like
Based on price, location, and features