
10000 Alberta Avenue, Hinkley, CA 92347
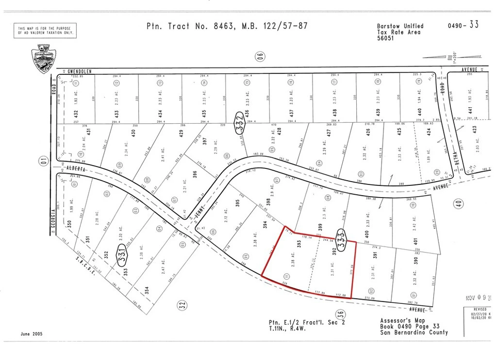
Unlock the potential of this rare double lot - Lots 392 and 393 of Tract 8463, offered under a single APN (0490-333-11-0000) for added convenience. This unique parcel is twice the size of a standard lot in the area, providing ample space for your desert getaway, off-grid homestead, or future investment. Nestled just minutes north of the Harper Dry Lake Bed, this property offers scenic desert views and easy access to outdoor recreation in the nearby Black Mountain Wilderness and Lockhart census area. Whether you're an adventurer, nature enthusiast, or savvy investor, this expansive lot is your gateway to the wide-open Mojave. Don’t miss this oversized opportunity - double the space, endless possibilities.
Lot Size
204,296 sqft
Days on Market
184
HOA Fee
N/A
MLS #
OC25165014
Lot Features
Desert Back, Desert Front, Irregular Lot, Lot Over40000 Sqft, Level
Water Source
Other
Rural
$0
| Rating | School Name | ||
|---|---|---|---|
| No school data available for this area. | |||
Balanced market
Avg. time on market
This is a Balanced Market. Homes are selling at a moderate pace.
Flood Risk
Minimal — not in a FEMA flood zone
Wildfire Risk
Moderate — near wildland-urban interface
Heat Risk
Low — moderate summer temperatures
Earthquake Risk
Southern California seismic zone
Based on price, location, and features
Topfind Realty, DRE # 02240815, is a licensed real estate broker in California. Topfind Realty pledges to support the Fair Housing Act and adhere to Equal Housing Opportunity laws.
Copyright © 2026 Topfind Realty. All Rights Reserved.