


$23,000
Est. $129/mo750 Summit Valley (NEAR) Road, Hesperia, CA 92345
About this home
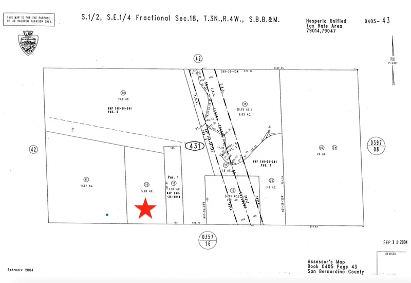
Prime 5-acre parcel located near the aqueduct and the highly anticipated Silverwood Housing Project! Although currently rural, this land offers an incredible investment opportunity as the Silverwood Project is set to transform over 9,000 acres into a thriving community with more than 15,000 new homes, 700,000 square feet of commercial space, and nearly 5,000 acres of parks and open space. Secure your piece of this burgeoning area now and be ready to build once the infrastructure is in place! APN# 0405-431-19-0000 Coordinates: 34.340777 / -117.334649. This property does not have an address assigned. "750 Summit Valley Rd (NEAR)" is for listing purposes only.
infoProperty Facts
Lot Size
221,284 sqft
Days on Market
19
HOA Fee
N/A
MLS #
HD25252337
chairInterior Details
garageParking
deckExterior & Lot
Lot & Grounds
Lot Features
Desert Back, Desert Front
diversity_3Community & HOA
Association Info
Community Features
Rural
Mortgage Calculator
$0
Nearby Schools
| Rating | School Name |
|---|---|
9 | GreatSchools High (Demo) public School • ratio 22:1 |
7 | Valley View Elementary (Demo) public School • ratio 18:1 |
6 | Lincoln Middle School (Demo) public School • ratio 20:1 |
NR | St. Mary Example Academy (Demo) private School • ratio 12:1 |
Walkability
Market Insights
Estimated Value
Market Temperature
Balanced market
Avg. time on market
This is a Balanced Market. Homes are selling at a moderate pace.
Similar Homes You Might Like
Based on price, location, and features
No similar listings found at this time.