
$450,000
Est. $2,520/mo0 C Ave & Mauna Loa St., Hesperia, CA 92345
About this home
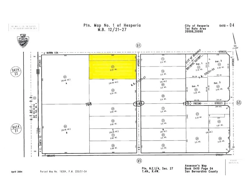
±5.24 acres of vacant land zoned General Industrial (I-G), ideally positioned at the corner of C Avenue and Mauna Loa Street in the City of Hesperia. This corner lot lies within the city's established industrial district—bordered by Santa Fe Avenue East and I Avenue—and benefits from paved access along C Avenue and a portion of Mauna Loa Street. The General Industrial zoning allows for a wide range of heavy industrial uses, including manufacturing, fabrication, assembly, warehousing, distribution, and outdoor storage—making it well-suited for an owner/user or investor seeking to capitalize on the High Desert’s growing industrial demand. With low vacancy rates and strong absorption in the market, the area is seeing increased activity fueled by regional logistics expansion and major transportation routes including I-15 and US-395. Future infrastructure improvements, such as those outlined in the Hesperia General Plan Update and the nearby High Desert Corridor, further enhance long-term development potential. Seller may consider offering financing with a minimum 40% down, presenting a flexible opportunity for qualified buyers to secure a strategically located industrial parcel in a high-growth area. Buyers to independently verify all utilities, zoning, and permitted uses.
infoProperty Facts
Lot Size
228,254 sqft
Days on Market
229
HOA Fee
N/A
MLS #
HD25149622
chairInterior Details
garageParking
deckExterior & Lot
Lot & Grounds
Lot Features
Rectangular Lot
Water Source
Public
diversity_3Community & HOA
Association Info
Community Features
Suburban
Mortgage Calculator
$0
Nearby Schools
| Rating | School Name |
|---|---|
9 | GreatSchools High (Demo) public School • ratio 22:1 |
7 | Valley View Elementary (Demo) public School • ratio 18:1 |
6 | Lincoln Middle School (Demo) public School • ratio 20:1 |
NR | St. Mary Example Academy (Demo) private School • ratio 12:1 |
Walkability
Market Insights
Estimated Value
Market Temperature
Balanced market
Avg. time on market
This is a Balanced Market. Homes are selling at a moderate pace.
Similar Homes You Might Like
Based on price, location, and features
No similar listings found at this time.