




$1,799,999
Est. $10,080/moBuena Vista Avenue, Gilroy, CA 95020
About this home
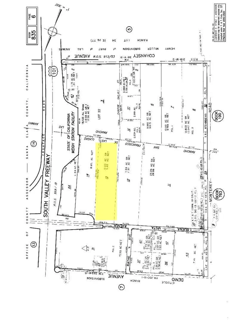
9.82-acre level agricultural parcel in North Gilroy (APN: 835-06-013). Currently in row crop production and zoned A-20A. Located between Highway 101 and Monterey Highway, the site is positioned in an evolving corridor near established industrial and residential developments. Infrastructure includes an on-site well, Valley Water District service, PG&E at the street, and an existing agricultural storage structure. Highly accessible location near local railway, transit hubs, and the High-Speed Rail project currently under construction. This property offers immediate agricultural utility within a major regional infrastructure growth path.
infoProperty Facts
Bathrooms
0
Lot Size
427,759 sqft
Property Type
Agriculture
Days on Market
0
HOA Fee
N/A
MLS #
ML82032640
chairInterior Details
garageParking
deckExterior & Lot
Lot & Grounds
Lot Features
Agricultural
Water Source
Well
Mortgage Calculator
$0
Nearby Schools
| Rating | School Name |
|---|---|
9 | GreatSchools High (Demo) public School • ratio 22:1 |
7 | Valley View Elementary (Demo) public School • ratio 18:1 |
6 | Lincoln Middle School (Demo) public School • ratio 20:1 |
NR | St. Mary Example Academy (Demo) private School • ratio 12:1 |
Walkability
Market Insights
Estimated Value
Market Temperature
Balanced market
Avg. time on market
This is a Balanced Market. Homes are selling at a moderate pace.
Similar Homes You Might Like
Based on price, location, and features
No similar listings found at this time.
Recently Sold
No similar listings found at this time.