
0 Camino De Nog, Fallbrook, CA 92028
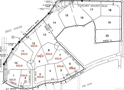
Opportunity awaits in this attractive subdivision with nine lots remaining, offering the perfect blend of country charm and everyday convenience. Lot sizes range from approximately ½ acre (net) to 1.23 acres (net), providing ample space to build the home of your dreams. Enjoy a peaceful setting with rolling hills and a thoughtfully planned neighborhood where roads are already in place. Public water and sewer are available (need hookups). Ideally located just minutes from town, shopping, schools, and churches, this community offers a quiet, rural feel without sacrificing accessibility. Don’t miss your chance to secure one of the final lots in this desirable location. CC&R's require minimum 2100 sq. ft. single level & minimum 2600 sq.ft. two story, must have tile roofs, stucco siding. CC&Rs' prohibit manufactured or mobile homes. Lots are offered in bulk, but may be purchased individually (see attached) flyer in documents.
Bathrooms
0
Lot Size
311,889.6 sqft
Days on Market
0
HOA Fee
N/A
MLS #
NDP2600840
Lot Features
Rolling Slope, Value In Land
Rural
$0
| Rating | School Name | ||
|---|---|---|---|
| No school data available for this area. | |||
Balanced market
Avg. time on market
This is a Balanced Market. Homes are selling at a moderate pace.
Flood Risk
Minimal — not in a FEMA flood zone
Wildfire Risk
Moderate — near wildland-urban interface
Heat Risk
Low — moderate summer temperatures
Earthquake Risk
Southern California seismic zone
Based on price, location, and features
Topfind Realty, DRE # 02240815, is a licensed real estate broker in California. Topfind Realty pledges to support the Fair Housing Act and adhere to Equal Housing Opportunity laws.
Copyright © 2026 Topfind Realty. All Rights Reserved.