


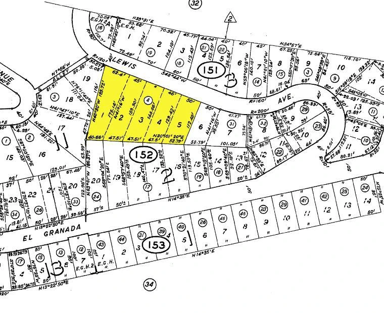
0 Lewis Avenue, El Granada, CA 94018
Exceptional Development Opportunity in El Granada Highlands! Seize the rare chance to own an oversized 34,800± sqft lot, complete with one CCWD (Coastside County Water District) water connection included. Nestled in the highly desirable El Granada Highlands on the San Mateo County Coastside, this expansive property offers a serene setting surrounded by beautiful, high-end homes. Buyers are encouraged to explore possibilities for road extension, lot subdivision, and buildability directly with the San Mateo County Planning and Building Division. Enjoy a superb coastal lifestyle with easy access to the beach, the scenic Coastal Trail, and the vibrant Pillar Point Harbor, featuring boutique shopping, fresh seafood markets, and a variety of acclaimed restaurants. Convenient proximity to Highway 1 ensures smooth commutes throughout the Bay Area. Don't miss this rare opportunity on the Coastside! The lot is located a few lots past 138 Lewis Ave.
Bathrooms
0
Lot Size
34,800 sqft
Days on Market
288
HOA Fee
N/A
MLS #
ML82004601
Lot Features
Sloped Down
Water Source
Public, Other
$0
| Rating | School Name | ||
|---|---|---|---|
| No school data available for this area. | |||
Balanced market
Avg. time on market
This is a Balanced Market. Homes are selling at a moderate pace.
Flood Risk
Minimal — not in a FEMA flood zone
Wildfire Risk
Moderate — near wildland-urban interface
Heat Risk
Low — moderate summer temperatures
Earthquake Risk
Southern California seismic zone
Based on price, location, and features
Topfind Realty, DRE # 02240815, is a licensed real estate broker in California. Topfind Realty pledges to support the Fair Housing Act and adhere to Equal Housing Opportunity laws.
Copyright © 2026 Topfind Realty. All Rights Reserved.