




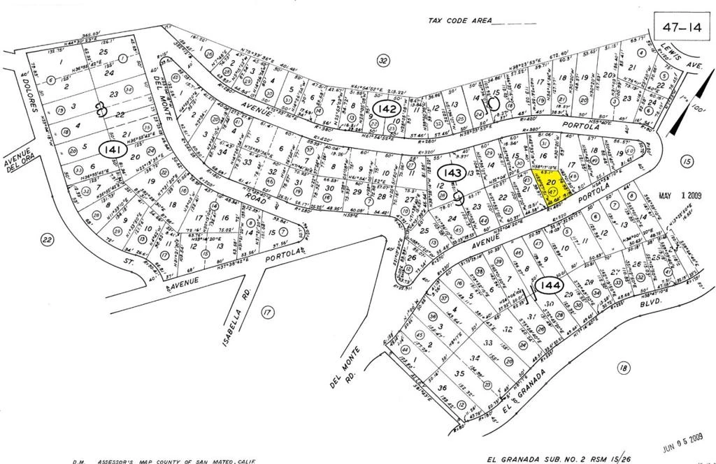
0 Avenue Portola, El Granada, CA 94018
Development Opportunity! Situated in the desirable, up-and-coming El Granada Highlands near beautiful high-end homes, this spacious 6,325± sqft lot is ready to make your own. Buyer to investigate road extension and buildability with the San Mateo County Planning and Building Division. The lot is located on the dirt road past 620 Ave Portola.
Bathrooms
0
Lot Size
6,325 sqft
Days on Market
290
HOA Fee
N/A
MLS #
ML82010644
Sewer
Other
$0
| Rating | School Name | ||
|---|---|---|---|
| No school data available for this area. | |||
Balanced market
Avg. time on market
This is a Balanced Market. Homes are selling at a moderate pace.
Flood Risk
Minimal — not in a FEMA flood zone
Wildfire Risk
Moderate — near wildland-urban interface
Heat Risk
Low — moderate summer temperatures
Earthquake Risk
Southern California seismic zone
Based on price, location, and features
Topfind Realty, DRE # 02240815, is a licensed real estate broker in California. Topfind Realty pledges to support the Fair Housing Act and adhere to Equal Housing Opportunity laws.
Copyright © 2026 Topfind Realty. All Rights Reserved.