, El Granada, CA 94018
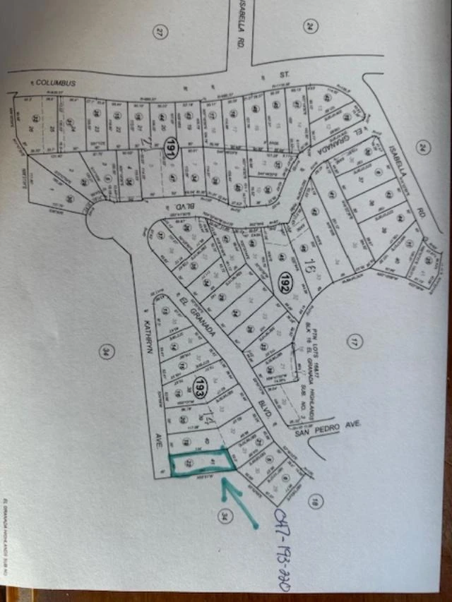
Own a beautiful piece of the Coast in the El Granada highlands. The property has been surveyed by the previous owner and the pink flags & markings indicate what the property line boundaries are. To access the property you must proceed on the Kathryn Avenue trail off El Granada Blvd. Kathryn Avenue is a paper street. The lot is directly behind the home at 262 El Granada Blvd (PLEASE DO NOT DISTURB HOMEOWNERS AS THEY HAVE NOTHING TO DO WITH THIS LOT). Lot is 7100 sq ft. Buyer to assume all responsibility for insurance, permitting, utilities, water connection through the water district and San Mateo County Building department to determine building possibilities & options.
Bathrooms
0
Lot Size
7,100 sqft
Days on Market
196
HOA Fee
N/A
MLS #
ML82019814
| Rating | School Name | ||
|---|---|---|---|
| No school data available for this area. | |||
Based on price, location, and features
Topfind Realty, DRE # 02240815, is a licensed real estate broker in California. Topfind Realty pledges to support the Fair Housing Act and adhere to Equal Housing Opportunity laws.
Copyright © 2026 Topfind Realty. All Rights Reserved.