


$198,500
Est. $1,112/mo0 Hwy 62, Desert Hot Springs, CA 92282
About this home
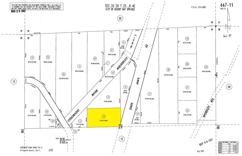
Excellent opportunity to acquire approximately 11 acres near 29 Palms Highway (Highway 62) in Desert Hot Springs, CA, APN 667-110-013. This parcel is zoned Commercial Business Park, opening the door to a wide range of commercial and mixed-use possibilities. Allowed uses include, but are not limited to, office, financial institutions, health and fitness facilities, grocery, restaurant with drive-thru, animal boarding and veterinary services, furniture and fixtures manufacturing, recording studio, and cannabis-related uses such as retail storefront or testing facility with a Conditional Use Permit (CUP). The site is strategically positioned just east of the planned Highland Falls development, a proposed 970-acre master-planned community with approximately 3,700 residential units, two 18-hole golf courses, and commercial components, adding long-term growth potential to the area. The property also offers expansive views of the Coachella Valley and surrounding mountains, making it well-suited for a variety of commercial or investment uses. ****No soils reports, surveys, etc., have been done. Buyer and buyer's agent to verify all information with the city or county for allowable uses and requirements and rely on their own investigations. **Buyer responsible for checking zoning, utilities, permits and exact property boundaries. ****
infoProperty Facts
Bathrooms
0
Lot Size
479,160 sqft
Days on Market
3
HOA Fee
N/A
MLS #
219139951DA
chairInterior Details
garageParking
deckExterior & Lot
Lot & Grounds
Sewer
Unknown
Mortgage Calculator
$0
Nearby Schools
| Rating | School Name |
|---|---|
9 | GreatSchools High (Demo) public School • ratio 22:1 |
7 | Valley View Elementary (Demo) public School • ratio 18:1 |
6 | Lincoln Middle School (Demo) public School • ratio 20:1 |
NR | St. Mary Example Academy (Demo) private School • ratio 12:1 |
Walkability
Market Insights
Estimated Value
Market Temperature
Balanced market
Avg. time on market
This is a Balanced Market. Homes are selling at a moderate pace.
Similar Homes You Might Like
Based on price, location, and features