




29834 Juniper, Cedar Glen, CA 92321
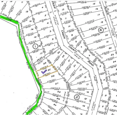
This vacant land is 4 lots combined into one in the wooded, rustic area of Lake Arrowhead. No Lake Rights, but plenty of charm and possibilities. The lot runs from Juniper Drive to Maple Drive with the Maple Drive side having the greater frontage of 122 feet. This side is easier to access as the road is flat there. This property has ample room to build. The road is paved up until about 100 feet from the property. On Maple Drive, look for the fire hydrant and the lot starts right after that. (More photos coming soon.)
Bedrooms
0
Bathrooms
0
Lot Size
11,492 sqft
Days on Market
104
HOA Fee
N/A
MLS #
IG25266911
Lot Features
Zero To One Unit Acre, Sloped Down, Sloped Up
Sewer
Septic Type Unknown
Biking, Dog Park, Fishing, Hiking, Near National Forest, Rural
$0
| Rating | School Name | ||
|---|---|---|---|
| No school data available for this area. | |||
Balanced market
Avg. time on market
This is a Balanced Market. Homes are selling at a moderate pace.
Flood Risk
Minimal — not in a FEMA flood zone
Wildfire Risk
Moderate — near wildland-urban interface
Heat Risk
Low — moderate summer temperatures
Earthquake Risk
Southern California seismic zone
Based on price, location, and features
Topfind Realty, DRE # 02240815, is a licensed real estate broker in California. Topfind Realty pledges to support the Fair Housing Act and adhere to Equal Housing Opportunity laws.
Copyright © 2026 Topfind Realty. All Rights Reserved.