




$15,000
Est. $84/mo0 Pierce Avenue, Cambria, CA 93428
About this home
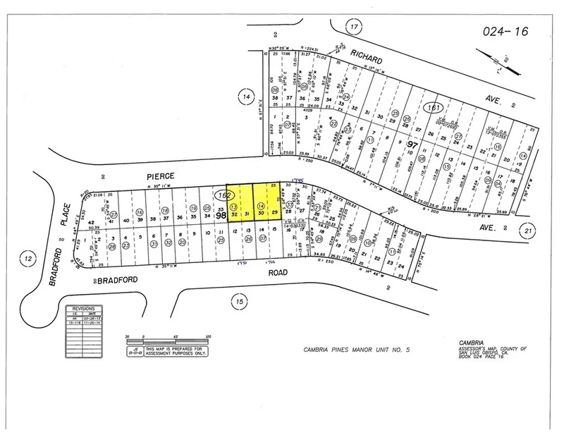
Two +-3500sf Parcels Sold Together. Total of +-7000sf. Two Apn's. Each Double is 50' x 70'. Currently No Water Wait List Position on Either Parcel However Water Positions Can Be Transferred Here. Lodge Hill forest setting, lots of deer and wild turkey roaming about. Feels like old time Cambria. Price Reduced! Now Offered for $15,000.
infoProperty Facts
Lot Size
7,000 sqft
Days on Market
205
HOA Fee
N/A
MLS #
SC25072345
chairInterior Details
garageParking
deckExterior & Lot
Lot & Grounds
Lot Features
Sloped Down
Sewer
Public Sewer
Water Source
Public
diversity_3Community & HOA
Association Info
Community Features
Biking, Hiking, Preserve Public Land, Rural
Mortgage Calculator
$0
Nearby Schools
| Rating | School Name |
|---|---|
9 | GreatSchools High (Demo) public School • ratio 22:1 |
7 | Valley View Elementary (Demo) public School • ratio 18:1 |
6 | Lincoln Middle School (Demo) public School • ratio 20:1 |
NR | St. Mary Example Academy (Demo) private School • ratio 12:1 |
Walkability
Market Insights
Estimated Value
Market Temperature
Balanced market
Avg. time on market
This is a Balanced Market. Homes are selling at a moderate pace.
Similar Homes You Might Like
Based on price, location, and features