
$20,000
Est. $112/mo0 Rice Avenue, California City, CA 93523
About this home
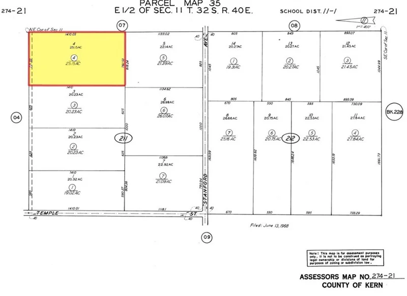
APN# 274-211-04-00-7 Coordinates: 35.171151, -117.649958 25 ACRES Great Investment opportunity just 4 mile off of Hwy 395 exit Fremont Peak Rd go west check to your coordinates on you favorite map. Plenty of space endless opportunities.
infoProperty Facts
Lot Size
1,095,534 sqft
Days on Market
0
HOA Fee
N/A
MLS #
IV26006098
chairInterior Details
garageParking
deckExterior & Lot
Lot & Grounds
Lot Features
Twenty One To Twenty Five Units Acre
diversity_3Community & HOA
Association Info
Community Features
Rural
Mortgage Calculator
$0
Nearby Schools
| Rating | School Name |
|---|---|
9 | GreatSchools High (Demo) public School • ratio 22:1 |
7 | Valley View Elementary (Demo) public School • ratio 18:1 |
6 | Lincoln Middle School (Demo) public School • ratio 20:1 |
NR | St. Mary Example Academy (Demo) private School • ratio 12:1 |
Walkability
Market Insights
Estimated Value
Market Temperature
Balanced market
Avg. time on market
This is a Balanced Market. Homes are selling at a moderate pace.
Similar Homes You Might Like
Based on price, location, and features
No similar listings found at this time.
Recently Sold
No similar listings found at this time.