

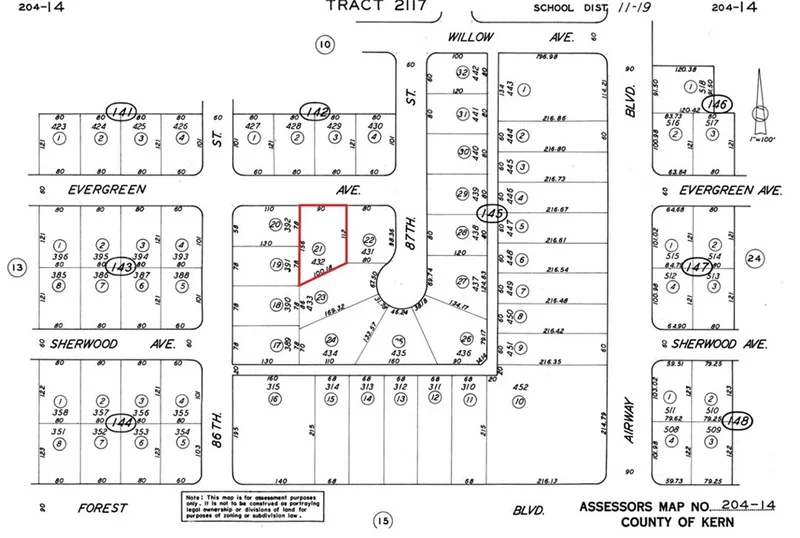
0 Evergreen Ave, California City, CA 93505
APN: 204-154-21-00-3 Coordinates: 35.105889, -117.974722 12,380 SqFt lot for sale in California City. This is a residential area zoned area in California City, Excellent location to build a home. Other homes with utilities are nearby. Adjacent parcel is also available APN# 204-145-22-00-6
Lot Size
12,380 sqft
Days on Market
265
HOA Fee
N/A
MLS #
IV25113677
Rural
$0
| Rating | School Name |
|---|---|
9 | GreatSchools High (Demo) public School • ratio 22:1 |
7 | Valley View Elementary (Demo) public School • ratio 18:1 |
6 | Lincoln Middle School (Demo) public School • ratio 20:1 |
NR | St. Mary Example Academy (Demo) private School • ratio 12:1 |
Balanced market
Avg. time on market
This is a Balanced Market. Homes are selling at a moderate pace.
Based on price, location, and features
No similar listings found at this time.
No similar listings found at this time.
Topfind Realty, DRE # 02240815, is a licensed real estate broker in California. Topfind Realty pledges to support the Fair Housing Act and adhere to Equal Housing Opportunity laws.
Copyright © 2026 Topfind Realty. All Rights Reserved.