




0 Evelyn Avenue, California City, CA 93505
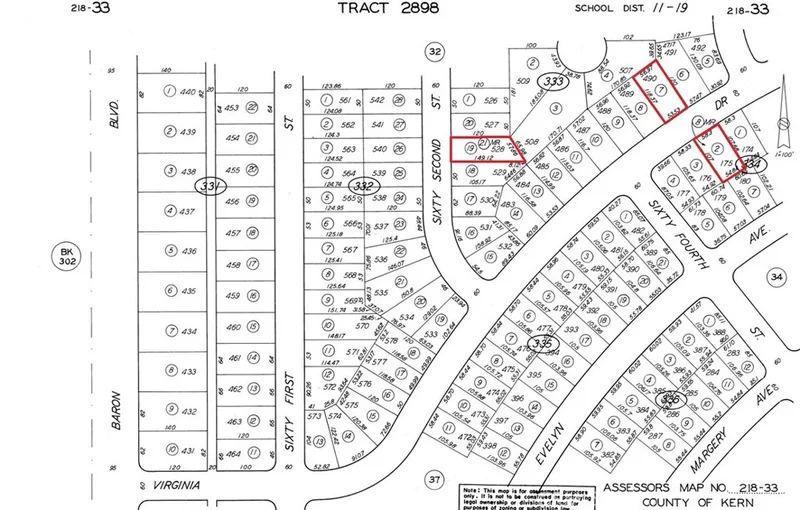
For sale is 1+- acre divided into 7 different lots (not connected). All are zoned as R1 and have water to the lot lines. Buyer to verify water and other utilities. The price listed is for all 7 lots. The 7 lots are: APN: 218-342-14 on Evelyn Ave: 6104 sq ft APN: 218-362-06 on Evelyn Ave: 5936 sq ft APN: 218-363-26 on Margery Ave: 6302 sq Ft APN: 218-325-14 on Alice St: 4586 sq ft APN: 218-333-07 on Virginia Dr: 7083 sq ft APN: 218-333-19 on 62nd St: 7023 sq ft APN: 218-334-02 on Virginia Dr: 5845 sq ft
Lot Size
42,880 sqft
Days on Market
118
HOA Fee
N/A
MLS #
HD25273693
Lot Features
Level
Golf
$0
| Rating | School Name | ||
|---|---|---|---|
| No school data available for this area. | |||
Balanced market
Avg. time on market
This is a Balanced Market. Homes are selling at a moderate pace.
Flood Risk
Minimal — not in a FEMA flood zone
Wildfire Risk
Moderate — near wildland-urban interface
Heat Risk
Low — moderate summer temperatures
Earthquake Risk
Southern California seismic zone
Based on price, location, and features
Topfind Realty, DRE # 02240815, is a licensed real estate broker in California. Topfind Realty pledges to support the Fair Housing Act and adhere to Equal Housing Opportunity laws.
Copyright © 2026 Topfind Realty. All Rights Reserved.