

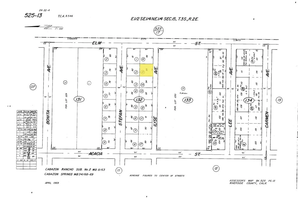
0 Lot 95 Mb 034/068, Cabazon, CA 92230
Discover the potential of this 5,662-square-foot vacant lot, perfectly positioned near the main road. Zoned Residential, this expansive parcel offers a blank canvas for builders, investors, or homeowners ready to create their dream property. With ample space for a custom single-family home, accessory dwelling unit (ADU), or landscaped outdoor retreat, the possibilities are endless. The lot’s generous size provides exceptional privacy, minimal traffic, and a peaceful atmosphere — ideal for families or anyone seeking a tranquil residential environment. Now is the time to secure a piece of land with both immediate value and long-term growth potential. Build, invest, or hold. Three lots to be sold together, APN's: 525-132-013, 525-132-014 and 525-132-015.
Lot Size
5,663 sqft
Days on Market
128
HOA Fee
N/A
MLS #
SR26001365
Lot Features
No Landscaping
Water Source
See Remarks
Street Lights
$0
| Rating | School Name | ||
|---|---|---|---|
| No school data available for this area. | |||
Balanced market
Avg. time on market
This is a Balanced Market. Homes are selling at a moderate pace.
Flood Risk
Minimal — not in a FEMA flood zone
Wildfire Risk
Moderate — near wildland-urban interface
Heat Risk
Low — moderate summer temperatures
Earthquake Risk
Southern California seismic zone
Based on price, location, and features
Topfind Realty, DRE # 02240815, is a licensed real estate broker in California. Topfind Realty pledges to support the Fair Housing Act and adhere to Equal Housing Opportunity laws.
Copyright © 2026 Topfind Realty. All Rights Reserved.