




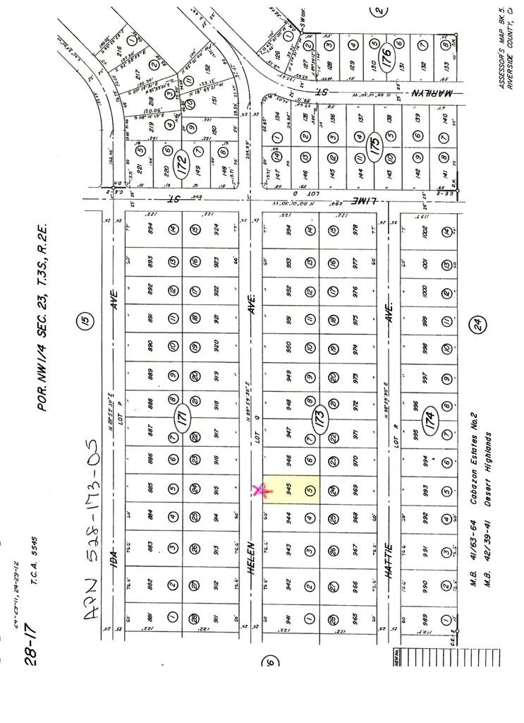
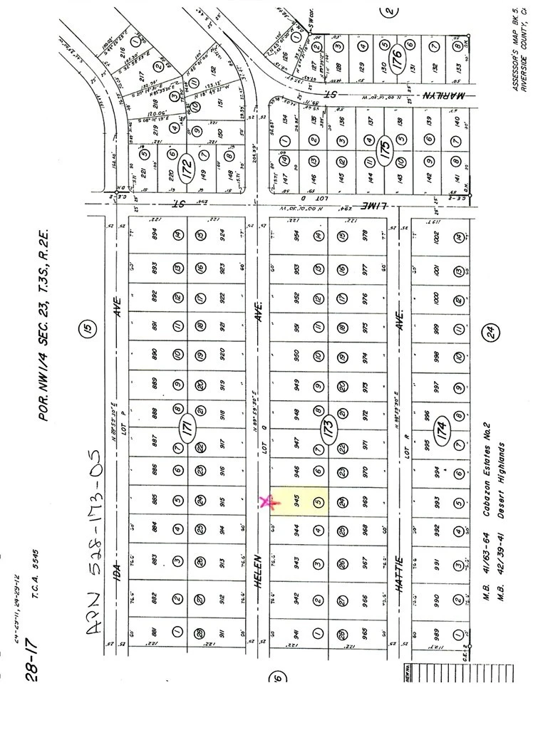
0 Helen 05 Avenue, Cabazon, CA 92230
Sand, Sky and Sun! This is a very desirable parcel in Cabazon.
Lot Size
6,970 sqft
Days on Market
362
HOA Fee
N/A
MLS #
HD24114757
Lot Features
Zero To One Unit Acre
Rural
$0
| Rating | School Name | ||
|---|---|---|---|
| No school data available for this area. | |||
Balanced market
Avg. time on market
This is a Balanced Market. Homes are selling at a moderate pace.
Flood Risk
Minimal — not in a FEMA flood zone
Wildfire Risk
Moderate — near wildland-urban interface
Heat Risk
Low — moderate summer temperatures
Earthquake Risk
Southern California seismic zone
Based on price, location, and features
Topfind Realty, DRE # 02240815, is a licensed real estate broker in California. Topfind Realty pledges to support the Fair Housing Act and adhere to Equal Housing Opportunity laws.
Copyright © 2026 Topfind Realty. All Rights Reserved.