
0 Salem Avenue, Boron, CA 93516
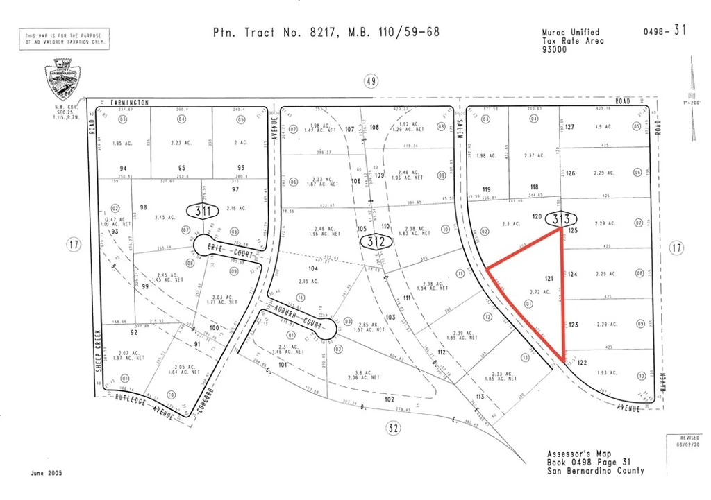
2.72 acres of open California Desert. Invest in this remote location with views to mountains in the distance. About a mile from Highway 395. APN: 0498-313-01-0000. GPS: (35.0251972, -117.5728747)
Lot Size
118,483 sqft
Days on Market
364
HOA Fee
N/A
MLS #
JT25026606
Lot Features
Irregular Lot
Rural
$0
| Rating | School Name | ||
|---|---|---|---|
| No school data available for this area. | |||
Balanced market
Avg. time on market
This is a Balanced Market. Homes are selling at a moderate pace.
Flood Risk
Minimal — not in a FEMA flood zone
Wildfire Risk
Moderate — near wildland-urban interface
Heat Risk
Low — moderate summer temperatures
Earthquake Risk
Southern California seismic zone
Based on price, location, and features
Topfind Realty, DRE # 02240815, is a licensed real estate broker in California. Topfind Realty pledges to support the Fair Housing Act and adhere to Equal Housing Opportunity laws.
Copyright © 2026 Topfind Realty. All Rights Reserved.