
$122,000
Est. $683/mo0 Near Lenwood Road, Barstow, CA 92311
About this home
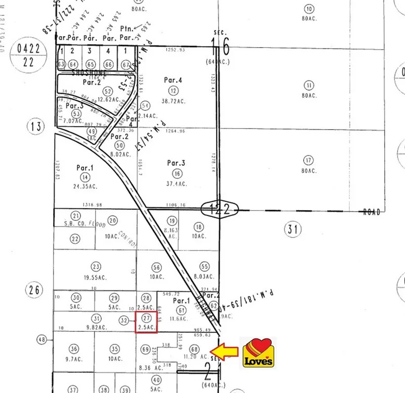
Looking for commercial land? Here is 2.5 acres situated just behind the Loves Truck stop in Lenwood. Lenwood is full of gas stations , fast food restaurants , hotels and the popular Outlets at Barstow. Just two street lights and a few minuets away from the I-15 freeway.
infoProperty Facts
Lot Size
108,900 sqft
Days on Market
354
HOA Fee
N/A
MLS #
HD25016853
chairInterior Details
garageParking
deckExterior & Lot
Lot & Grounds
Lot Features
Two To Five Units Acre, Desert Back, Desert Front, Near Public Transit, Street Level
diversity_3Community & HOA
Association Info
Community Features
Street Lights, Sidewalks
Mortgage Calculator
$0
Nearby Schools
| Rating | School Name |
|---|---|
9 | GreatSchools High (Demo) public School • ratio 22:1 |
7 | Valley View Elementary (Demo) public School • ratio 18:1 |
6 | Lincoln Middle School (Demo) public School • ratio 20:1 |
NR | St. Mary Example Academy (Demo) private School • ratio 12:1 |
Walkability
Market Insights
Estimated Value
Market Temperature
Balanced market
Avg. time on market
This is a Balanced Market. Homes are selling at a moderate pace.
Similar Homes You Might Like
Based on price, location, and features