




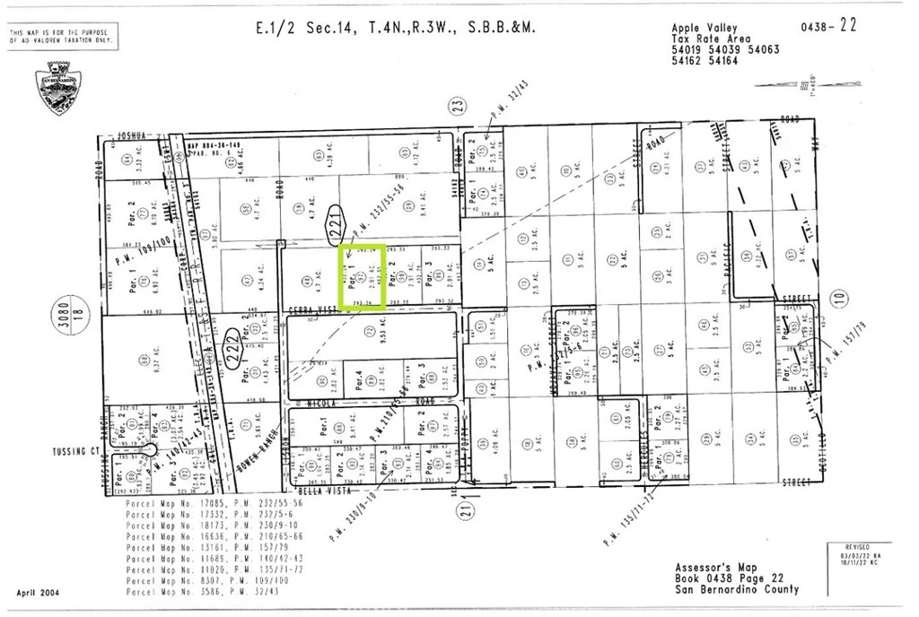
10233 Cerra Vista Street, Apple Valley, CA 92308
***Come VIEW and MAKE an OFFER TODAY! Amazing land opportunity in Apple Valley CA. Part of the Ranchos Del Oro community, the 2.91 acre lot is tucked away in the hills with plenty of room to build a custom home offering GORGEOUS VIEWS to the NORTH and WEST. LOT SPLIT and APPROVED TRACT MAP NO. 17085 have been taken care of with the county so site already has its own address on Cerra Vista St. Also, the property is adjacent to utility lines. PLUS, DRAINAGE STUDY, WATER PLANS, and GRADING PLANS are INCLUDED with the sale. These plans will save TIME and MONEY for any developer looking to get a project underway. With a shortage of homes on the market and demand continuing to rise, this is an ideal site for NEW CONSTRUCTIONS. Not to mention, two adjacent lots are also for sale. See APNs 0438-221-98 and 99. Each parcel can be purchased separately or as a package deal. A definite must see opportunity before it's too late.***
Lot Size
126,833 sqft
Days on Market
0
HOA Fee
N/A
MLS #
HD26063129
Lot Features
Lot Over40000 Sqft, Rectangular Lot, Street Level
Water Source
Public
Suburban
$0
| Rating | School Name | ||
|---|---|---|---|
| No school data available for this area. | |||
Balanced market
Avg. time on market
This is a Balanced Market. Homes are selling at a moderate pace.
Flood Risk
Minimal — not in a FEMA flood zone
Wildfire Risk
Moderate — near wildland-urban interface
Heat Risk
Low — moderate summer temperatures
Earthquake Risk
Southern California seismic zone
Based on price, location, and features
Topfind Realty, DRE # 02240815, is a licensed real estate broker in California. Topfind Realty pledges to support the Fair Housing Act and adhere to Equal Housing Opportunity laws.
Copyright © 2026 Topfind Realty. All Rights Reserved.