

0 Sycamore Falls, Aguanga, CA 92536
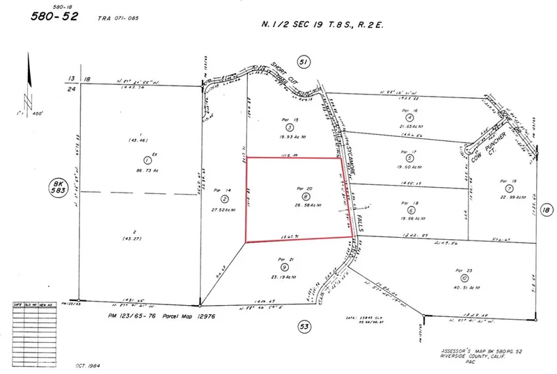
Rare opportunity to own approximately 26.58 acres of vacant, agricultural-zoned land (APN: 580-520-008) in unincorporated Riverside County. Located near the rural community of Aguanga with convenient access to Highway 371, this expansive parcel features a blend of gently rolling terrain and open space, suitable for a variety of agricultural or rural residential uses. Surrounded by ranches, custom homes, and other agricultural properties, the land offers privacy, wide-open views, and potential for future development or investment. The topography is mostly usable (buyer to verify), and the lot has public road access. Power and other services are located nearby; however, buyers are advised to independently verify availability, zoning regulations, land use restrictions, and any development requirements with the County of Riverside. Property is located within the Hemet Unified School District (buyer to confirm attendance boundaries)
Lot Size
1,157,825 sqft
Days on Market
195
HOA Fee
N/A
MLS #
HD25101802
Lot Features
Twenty Six To Thirty Units Acre, Agricultural, Sloped Down, Gentle Sloping, Horse Property, Irregular Lot, No Landscaping, Rolling Slope, Ranch, Rocks, Secluded
Water Source
See Remarks, Well
Rural, Valley
$0
| Rating | School Name | ||
|---|---|---|---|
| No school data available for this area. | |||
Balanced market
Avg. time on market
This is a Balanced Market. Homes are selling at a moderate pace.
Flood Risk
Minimal — not in a FEMA flood zone
Wildfire Risk
Moderate — near wildland-urban interface
Heat Risk
Low — moderate summer temperatures
Earthquake Risk
Southern California seismic zone
Based on price, location, and features
Topfind Realty, DRE # 02240815, is a licensed real estate broker in California. Topfind Realty pledges to support the Fair Housing Act and adhere to Equal Housing Opportunity laws.
Copyright © 2026 Topfind Realty. All Rights Reserved.